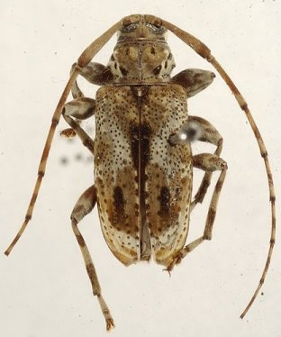
_Gilmour_AMNH_Achinamiza_Peru.jpg)
Specimen Type: holotype Sex: f Institution: AMNH American Museum of Natural History, New York, NY, USA Collection Location: Achinamiza, Peru 28006
|
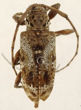
_Gilmour_Peru_Gilmour_1962.jpg)
Specimen Type: holotype Sex: f Institution: AMNH American Museum of Natural History, New York, NY, USA Collection Location: Peru 23235
|
_Gilmour_AMNH_Rupununi_River_Guyana_=_elaineae.jpg)
Xylergates dorotheae Gilmour Specimen Type: holotype Sex: f Institution: AMNH American Museum of Natural History, New York, NY, USA Collection Location: Rupununi, River, Guyana 28005
|
_Gilmour_British_Guiana_Gilmour_1962_=_X_elaineae.jpg)
Xylergates dorotheae Gilmour Specimen Type: holotype Sex: f Institution: AMNH American Museum of Natural History, New York, NY, USA Collection Location: Guyana 23236
|

Institution: UCB Essig Museum of Entomology, Berkeley, California, USA Photographer: Larry G. Bezark Determiner: Monne Collection Location: French Guiana 14781
|

Institution: FSCA Florida State Collection of Arthropods, Gainesville, FL, USA Collection Location: Napo, Ecuador Giesbert Coll as Xylergates dorotheae 14782
|

Collection Location: reared from Eschweilera coriacia French Guiana 14783
|

Photographer: Denis Faure Collection Location: French Guiana 23234
|

Photographer: Jim Wappes Collection Location: Bolivia 42638
|
_Belizon_Fr_Guiana_Giuglaris.jpg)
Sex: mf Photographer: Jean-Louis Giuglaris Collection Location: Belizon, French Guiana 29459
|
|