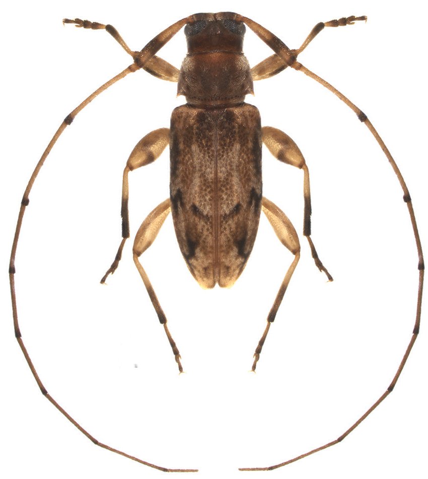
_Gilmour_Puerto_Rico_Gilmour_1963.jpg)
Urgleptes sandersoni Gilmour Specimen Type: holotype Sex: m Institution: MAGD Museum & Art Gallery of Doncaster, England Collection Location: Puerto Rico 23320
|
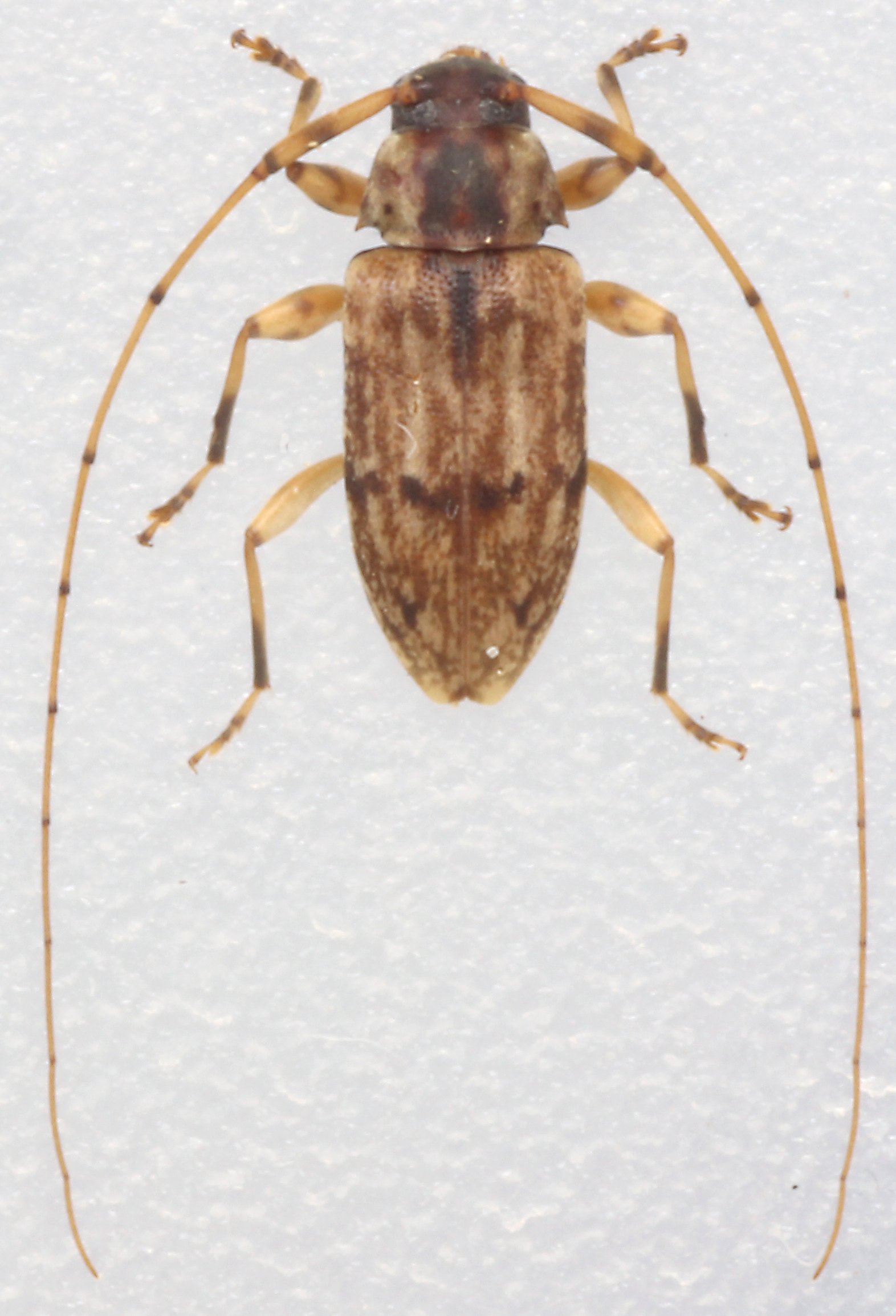
 Gilmour MAGD Furcy, Haiti Moure.jpg)
Urgleptes haitiensis Gilmour Specimen Type: holotype Sex: m Institution: MAGD Museum & Art Gallery of Doncaster, England Photographer: JS Moure Collection Location: Furcy, Haiti 23332
|

Institution: EMG Ed Giesbert Collection (now at FSCA) Collection Location: Tireo, Dominican Republic 14659
|

Institution: UCB Essig Museum of Entomology, Berkeley, California, USA Photographer: Larry G. Bezark Determiner: Wappes Collection Location: Maricao, Puerto Rico 14685
|

Institution: MCZ Museum of Comparative Zoology, Harvard University, Cambridge, MA, USA Determiner: C. Smith Collection Location: Altagracia, Dominican Republic 25245
|

Institution: MCZ Museum of Comparative Zoology, Harvard University, Cambridge, MA, USA Determiner: C. Smith Collection Location: Altagracia, Dominican Republic 25246
|

Institution: MCZ Museum of Comparative Zoology, Harvard University, Cambridge, MA, USA Determiner: C. Smith Collection Location: Altagracia, Dominican Republic 25247
|

Photographer: Steve Lingafelter Collection Location: Dominican Republic 64858
|

Photographer: Josef Vlasak Collection Location: Key Largo, Monroe County, Florida, USA 76458
|

Photographer: Julien Touroult 23319
|
|