New Search Family, Subfamily and Tribe List

SubFamily Lamiinae

Tribe Acanthocinini
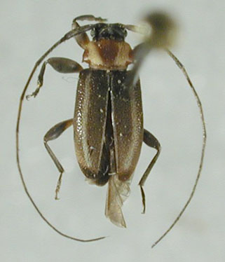
Polymitoleiopus ruficollis (Bates, 1881)

Institution: EMG Ed Giesbert Collection (now at FSCA)
Collection Location: Guapiles, Limon Prov, Costa Rica
14684

130425