_Gilmour_AMNH_Chichicastenango_Guatemala.jpg)
Urgleptes pareuprepes Gilmour Specimen Type: holotype Sex: m Institution: AMNH American Museum of Natural History, New York, NY, USA Collection Location: Chichicastenango, Guatemala 27997
|
 Gilmour AMNH Chichicastenango, Guatemala Moure.jpg)
Urgleptes pareuprepes Gilmour Specimen Type: holotype Sex: m Institution: AMNH American Museum of Natural History, New York, NY, USA Photographer: JS Moure 23323
|
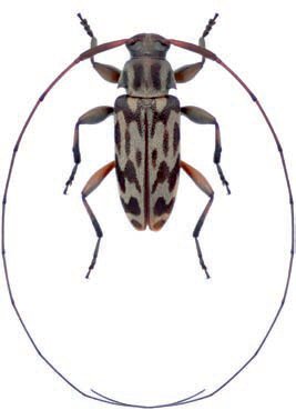
 Gilmour MZSP Guatemala SS.jpg)
Sex: m Institution: MZSP Museu de Zoologia da Universidade de São Paulo, Brazil Photographer: Antonio Santos-Silva Collection Location: Guatemala 91532
|
_Det_Gilmour_CAS.jpg)
Institution: CAS California Academy of Sciences, San Francisco, CA, USA Photographer: Larry G. Bezark Determiner: Gilmour 14651
|

Institution: UCB Essig Museum of Entomology, Berkeley, California, USA Photographer: Larry G. Bezark Determiner: Wappes Collection Location: Tuxtla Gutierrez, Chiapas, Mexico 14678
|

Institution: FSCA Florida State Collection of Arthropods, Gainesville, FL, USA Photographer: Jim Wappes Determiner: FTH Collection Location: 6 km S Santa Elena, Puntarenas, Costa Rica 69279
|

Institution: LGBC Larry G. Bezark Collection, Sacramento, California, USA Photographer: Larry G. Bezark Collection Location: TREES, Middlesex Village, Stann Creek, Belize 69385
|

Photographer: JP Roguet, https://lamiinae.org Collection Location: La Sombra, Nicaragua 68151
|
|