_Bates_BMNH_Cordoba_Veracruz_Mex_Keita_Matsumoto_Geiser.jpg)
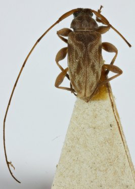
Lepturges literatus Bates Specimen Type: lectotype Sex: m Institution: BMNH British Museum Natural History, London, UK Photographer: Keita Matsumoto & Michael Geiser Collection Location: Cordoba, Veracruz, Mexico 53725
|
_Bates_BMNH_Cordoba_Veracruz_Mex_Keita_Matsumoto_Geiser.jpg)
Lepturges literatus Bates Specimen Type: lectotype Sex: m Institution: BMNH British Museum Natural History, London, UK Photographer: Keita Matsumoto & Michael Geiser Collection Location: Cordoba, Veracruz, Mexico 53726
|
 Bates BMNH Cordoba, Veracruz, Mexico now Urg Moure.jpg)
Lepturges literatus Bates Specimen Type: lectotype Sex: m Institution: BMNH British Museum Natural History, London, UK Photographer: JS Moure Collection Location: Cordoba, Veracruz, Mexico 100283
|

Institution: CAS California Academy of Sciences, San Francisco, CA, USA Photographer: Larry G. Bezark Determiner: Turnbow 14666
|
_BCA_as_Lepturges.jpg)
Institution: BCA Biologia Centrali Americana Collection Location: as Lepturges 14667
|
_FTH_LGB.jpg)
Institution: FTH Frank T. Hovore collection (now at California Academy of Sciences) Photographer: Larry G. Bezark 14692
|
|