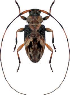
_Gilmour_AMNH_Reunion_Sac_Atepequez_Guatemala.jpg)
Urgleptes laxicollis Gilmour Specimen Type: holotype Sex: m Institution: AMNH American Museum of Natural History, New York, NY, USA Collection Location: Reunion Sac Atepequez, Guatemala 27996
|
 Gilmour AMNH Reunion Sac Atepequez, Guatemala Moure.jpg)
Urgleptes laxicollis Gilmour Specimen Type: holotype Sex: m Institution: AMNH American Museum of Natural History, New York, NY, USA Photographer: JS Moure Collection Location: Reunion Sac Atepequez, Guatemala 23329
|
_(m)_Gilmour_MAGD_Guatemala_Tav.jpg)
Specimen Type: paratype Sex: m Institution: MAGD Museum & Art Gallery of Doncaster, England Photographer: Gerard Tavakilian Collection Location: Guatemala 18852
|

Photographer: JP Roguet, https://lamiinae.org Collection Location: La Sombra, Nicaragua 68150
|
|