 Bates BMNH Bugaba, Chiriqui, Panama now Urg Moure.jpg)
Lepturges histrionellus Bates Specimen Type: holotype Institution: BMNH British Museum Natural History, London, UK Photographer: JS Moure Collection Location: Bugaba, Chiriqui, Panama 100276
|

Photographer: Jean-Louis Giuglaris Determiner: maybe this taxa Collection Location: Regina, French Guiana 29430
|
_BCA_as_Lepturges.jpg)
Institution: BCA Biologia Centrali Americana Collection Location: as Lepturges 14660
|
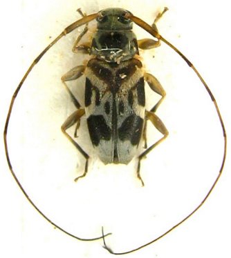
, dorsal.jpg)
Sex: f Institution: MZSP Museu de Zoologia da Universidade de São Paulo, Brazil Photographer: Antonio Santos-Silva Collection Location: Turrialba, Cartago, Costa Rica 91530
|
|