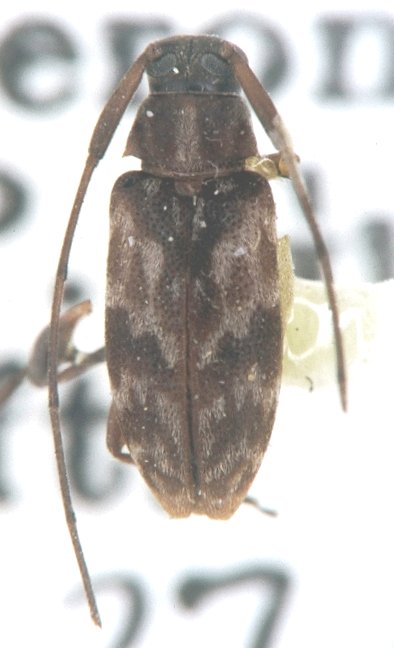
_Gilmour_AMNH_San_Geronimo_Guatemala.jpg)
Urgleptes elaineae Gilmour Specimen Type: holotype Sex: f Institution: AMNH American Museum of Natural History, New York, NY, USA Collection Location: San Geronimo, Guatemala 27995
|
 Gilmour AMNH San Geronimo, Guatemala now fasciat Moure.jpg)
Urgleptes elaineae Gilmour Specimen Type: holotype Sex: f Institution: AMNH American Museum of Natural History, New York, NY, USA Photographer: JS Moure Collection Location: San Jeronimo, Baja Verapaz, Guatemala 23337
|
_Det_Wappes_Tuxtla_Gutierrez_Chiapas_Mexico_UCB_100195.jpg)
Institution: UCB Essig Museum of Entomology, Berkeley, California, USA Photographer: Larry G. Bezark Determiner: Wappes Collection Location: Tuxtla Gutierrez, Chiapas, Mexico 14654
|
_Det_Gilmour_CAS.jpg)
Institution: CAS California Academy of Sciences, San Francisco, CA, USA Photographer: Larry G. Bezark Determiner: Gilmour 14653
|
_Bates_Playa_Del_Carmen_Q_Roo_Mexico_JP_Roguet_photo.jpg)
Sex: m Photographer: Steve Lingafelter Collection Location: Playa Del Carmen, Quintana Roo, Mexico 29847
|
|