_Gilmour_AMNH_La_Buena_Ventura_Veracruz_Mexico.jpg)
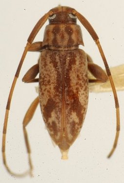
Urgleptes duffyi Gilmour Specimen Type: holotype Sex: f Institution: AMNH American Museum of Natural History, New York, NY, USA Collection Location: La Buena, Ventura, Veracruz, Mexico 27994
|
 Gilmour AMNH La Buena, Ventura, Veracruz, Mexico Moure.jpg)
Urgleptes duffyi Gilmour Specimen Type: holotype Sex: f Institution: AMNH American Museum of Natural History, New York, NY, USA Photographer: JS Moure Collection Location: La Buena Ventura, Veracruz, Mexico 23338
|

Institution: UCB Essig Museum of Entomology, Berkeley, California, USA Photographer: Larry G. Bezark Determiner: Wappes Collection Location: Sontecomapan, Veracruz, Mexico 14650
|

Photographer: Steve Lingafelter Collection Location: Nicaragua 26874
|
|