_Gilmour_AMNH_Nebaj_Guatemala.jpg)
Urgleptes dorotheae Gilmour Specimen Type: holotype Sex: m Institution: AMNH American Museum of Natural History, New York, NY, USA Collection Location: Nebaj, El Quiche, Guatemala 27993
|
 Gilmour AMNH Nebaj, Guatemala Moure.jpg)
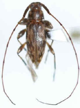
Urgleptes dorotheae Gilmour Specimen Type: holotype Sex: m Institution: AMNH American Museum of Natural History, New York, NY, USA Photographer: JS Moure Collection Location: Nebaj, El Quiche, Guatemala 23339
|
_(f)_Gilmour_MAGD_Tav.jpg)
Specimen Type: paratype Sex: m Institution: MAGD Museum & Art Gallery of Doncaster, England Photographer: Gerard Tavakilian Collection Location: Nebaj, El Quiche, Guatemala 18851
|

Institution: EMG Ed Giesbert Collection (now at FSCA) Collection Location: Izabal, Guatemala 14649
|

Photographer: Steve Lingafelter Collection Location: Nicaragua 26873
|
|