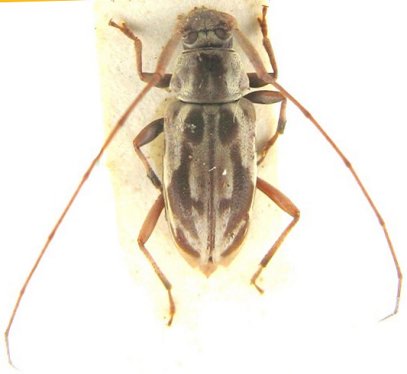
_White_BMNH_Ega_AM_Brazil_nowEucharitolus_LGB.jpg)
Leiopus dorcadioides White Specimen Type: lectotype Institution: BMNH British Museum Natural History, London, UK Photographer: Larry G. Bezark Collection Location: Tefé (originally Ega), Amazonas, Brazil 46962
|
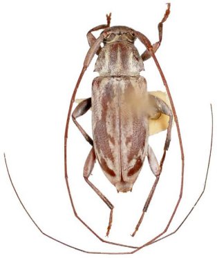
 White BMNH Tefe (originally Ega), Amazonas, Brazil now Eucharit Moure.jpg)
Leiopus dorcadioides White Specimen Type: holotype Institution: BMNH British Museum Natural History, London, UK Photographer: JS Moure Collection Location: Tefé (originally Ega), Amazonas, Brazil 17024
|

Photographer: Jean-Louis Giuglaris Collection Location: Belizon, French Guiana 29429
|
_Bolivia_Wappes_Photo.jpg)
Photographer: Jim Wappes Collection Location: Bolivia 14647
|
_Buena_Vista_Bolivia_Giesbert_Coll_FSCA.jpg)
Institution: EMG Ed Giesbert Collection (now at FSCA) Collection Location: Buena Vista, Santa Cruz, Bolivia 14648
|
 White) MZSP 60917 Bom Jesus do Araguaia, Mato Grosso, Brazil SS.jpg)
Sex: f Institution: MZSP 60917 Photographer: Antonio Santos-Silva Collection Location: Bom Jesus do Araguaia, Mato Grosso, Brazil 96182
|
_(White)_Botero_and_Monne.jpg)
Sex: m 36277
|
_(White)_Botero_and_Monne.jpg)
Sex: f 36278
|
|