New Search Family, Subfamily and Tribe List

SubFamily Lamiinae

Tribe Acanthocinini
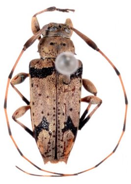
Tropidozineus cinctulus Monné & Martins 1976

Specimen Type: holotype
Institution: MNRJ Museu Nacional Universidade do Rio Janeiro, Brazil
Photographer: Steve Lingafelter
14517


Photographer: Francisco Nascimento
Collection Location: Bahia, Brazil
59642

130425