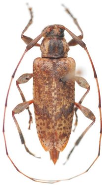
_Delfino_MNRJ_SWL.jpg)
Trichonyssodrys cinctus Delfino Specimen Type: holotype Sex: m Institution: MNRJ Museu Nacional Universidade do Rio Janeiro, Brazil Photographer: Steve Lingafelter Collection Location: Marilia, Sao Paolo, Brazil 14365
|
_Delfino.jpg)
Trichonyssodrys cinctus Delfino Specimen Type: paratype Sex: f 36568
|