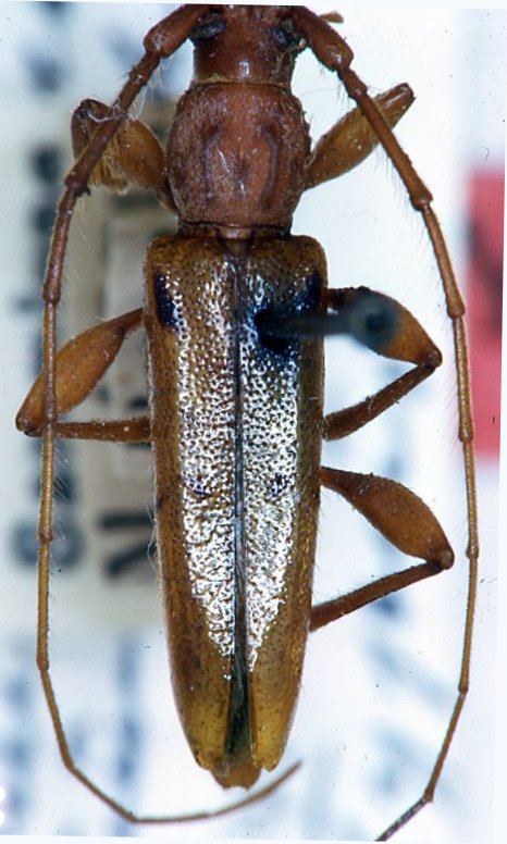
_Tipp_USNM_=_immaculipenne.jpg)
Achryson immaculipenne humeromaculatum Tippmann Specimen Type: holotype Sex: m Institution: NMNH United States National Museum, Washington, DC, USA Collection Location: Brazil 25438
|
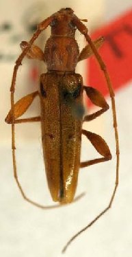
 Tipp NMNH Brazil now immac Moure.jpg)
Achryson immaculipenne humeromaculatum Tippmann Specimen Type: holotype Sex: m Institution: NMNH United States National Museum, Washington, DC, USA Photographer: JS Moure Collection Location: Brazil 7433
|

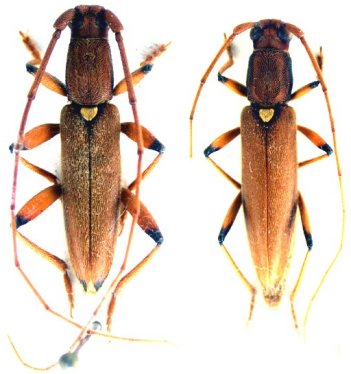
Photographer: Ole Mehl Collection Location: Department Paraguari, Paraguay 36617
|

Institution: INPA Instituto Nacional de Pesquisas da Amazonia, Manaus, Brazil Photographer: Antonio Santos-Silva Collection Location: Monte Roraima National Park, Brazil 95224
|

Photographer: Jim Wappes Collection Location: Bolivia 3674
|

Institution: MZSP Museu de Zoologia da Universidade de São Paulo, Brazil Photographer: Steve Lingafelter Determiner: Bira Martins Collection Location: Bolivia 3675
|

Institution: FTH Frank T. Hovore collection (now at California Academy of Sciences) Photographer: Larry G. Bezark Collection Location: Cayenne, French Guiana 3676
|
_Gounelle_JAC_BMNH.jpg)
Institution: BMNH British Museum Natural History, London, UK Photographer: John Chemsak 14968
|
_Gounelle_Kaw_Beiizon_Fr_Guiana_Giuglaris.jpg)
Sex: mf Photographer: Jean-Louis Giuglaris Collection Location: Kaw, French Guiana 28544
|