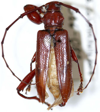
_Fragoso_MNRJ_SWL.jpg)
Specimen Type: holotype Sex: m Institution: MNRJ Museu Nacional Universidade do Rio Janeiro, Brazil Photographer: Steve Lingafelter Collection Location: Lower Anchicaya, Valle De Cauca, Colombia 14194
|
 Fragoso Selva Alegre, Esmeraldas, Ecuador Jorge Jensen pic.jpg)
Sex: m Photographer: Jorge Jensen Collection Location: Selva Alegre, Esmeraldas, Ecuador 80146
|