_Monne_MNRJ_SWL.jpg)
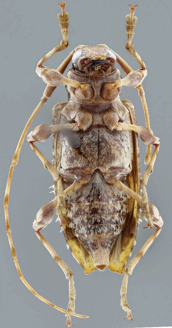
Tithonus penicillatus Monne Specimen Type: holotype Sex: f Institution: MNRJ Museu Nacional Universidade do Rio Janeiro, Brazil Photographer: Steve Lingafelter Collection Location: Santo Domingo de los Colorados, Pichincha, Ecuador 14139
|
_(Monne)_MZSP_Nasc_.jpg)
Sex: m Institution: MZSP Museu de Zoologia da Universidade de São Paulo, Brazil Photographer: Francisco Nascimento Collection Location: Reserva Chicaque, Cunidinimarca, Colombia 69458
|
_(Monne)_MZSP_Nasc_.jpg)
Sex: m Institution: MZSP Museu de Zoologia da Universidade de São Paulo, Brazil Photographer: Francisco Nascimento Collection Location: Reserva Chicaque, Cunidinimarca, Colombia 69459
|
_(Monne)_MZSP_Nasc_.jpg)
Sex: m Institution: MZSP Museu de Zoologia da Universidade de São Paulo, Brazil Photographer: Francisco Nascimento Collection Location: Reserva Chicaque, Cunidinimarca, Colombia 69460
|
_(Monne)_MZSP_Nasc_.jpg)
Sex: m Institution: MZSP Museu de Zoologia da Universidade de São Paulo, Brazil Photographer: Francisco Nascimento Collection Location: Reserva Chicaque, Cunidinimarca, Colombia 69461
|
_(Monne)_MZSP_Nasc_.jpg)
Sex: f Institution: MZSP Museu de Zoologia da Universidade de São Paulo, Brazil Photographer: Francisco Nascimento Collection Location: Bogota, Colombia 69462
|
_(Monne)_MZSP_Nasc_.jpg)
Sex: f Institution: MZSP Museu de Zoologia da Universidade de São Paulo, Brazil Photographer: Francisco Nascimento Collection Location: Bogota, Colombia 69463
|
_(Monne)_MZSP_Nasc_.jpg)
Sex: f Institution: MZSP Museu de Zoologia da Universidade de São Paulo, Brazil Photographer: Francisco Nascimento Collection Location: Bogota, Colombia 69464
|
_(Monne)_MZSP_Nasc_.jpg)
Sex: f Institution: MZSP Museu de Zoologia da Universidade de São Paulo, Brazil Photographer: Francisco Nascimento Collection Location: Bogota, Colombia 69465
|