
Photographer: Robin Clarke Collection Location: Bolivia 24430
|

Photographer: Jim Wappes Collection Location: Bolivia 11808
|

Photographer: Ole Mehl Collection Location: Department Alto Parana, Paraguay 36873
|
_Waterh_San_Luis_Fundo_el_Molle_ARG_Jorge_Jensen.jpg)
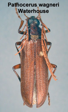
Sex: f Photographer: Jorge Jensen Collection Location: San Luis Fundo el Molle, Argentina 64211
|
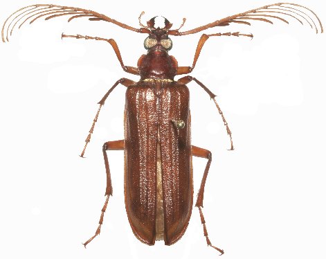
 Waterhouse Alto Pencoso, San Luis, Argentina Robin.jpg)
Sex: m Photographer: Frédéric Robin Collection Location: Alto Pencoso, San Luis, Argentina 79365
|
|