_Chevrolat_BMNH_JAC_=_Styloleptus.jpg)
Alcidion scurra Chevrolat Specimen Type: holotype Institution: BMNH British Museum Natural History, London, UK Photographer: John Chemsak 22422
|
 Fisher BMNH Little Cayman, Cayman Islands, West Indies now Stylo scurra Moure.jpg)
Leptostylus lewisi Fisher Specimen Type: holotype Institution: BMNH British Museum Natural History, London, UK Photographer: JS Moure Collection Location: Little Cayman, Cayman Islands, West Indies 22868
|
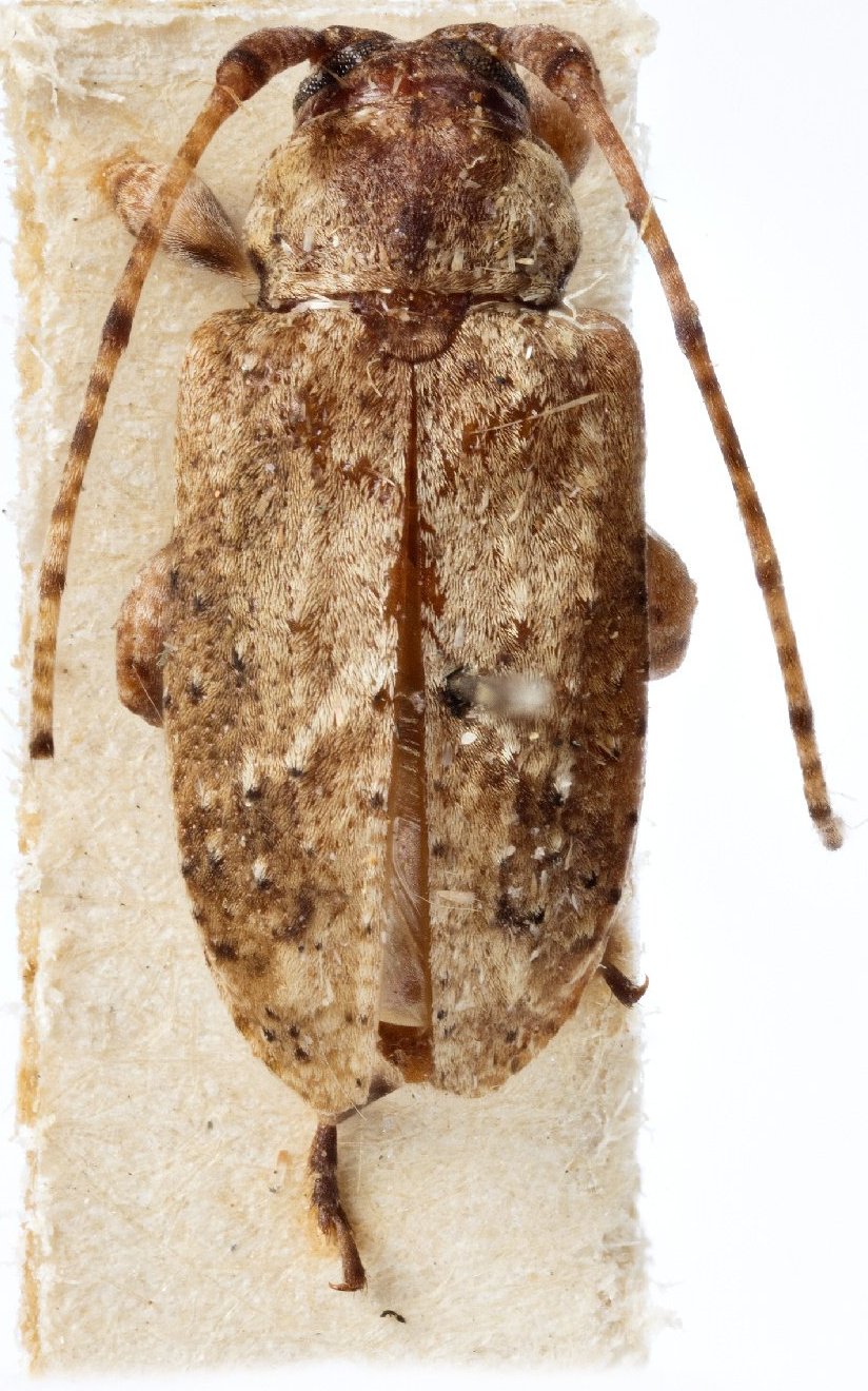
_Fisher_BMNH_Grand_Cayman_West_Indies_JAC_=_Styloleptus.jpg)
Leptostylus thompsoni Fisher Specimen Type: holotype Institution: BMNH British Museum Natural History, London, UK Collection Location: Grand Cayman, West Indies 22871
|
_Fisher_Cuba_USNM_SWL_=_Styloleptus_biustus_biustus_(LeC).jpg)
Leptostylus scurra var. dorsalis Fisher Specimen Type: holotype Institution: NMNH United States National Museum, Washington, DC, USA Photographer: Steve Lingafelter Collection Location: Cuba 9126
|
_Fisher_Cuba_USNM_SWL_=_Styloleptus_scurra.jpg)
Leptostylus scurra var. maculifer Fisher Specimen Type: holotype Institution: NMNH United States National Museum, Washington, DC, USA Photographer: Steve Lingafelter Collection Location: Cuba 9127
|
 Fisher NMNH Santiago de Las Vegas Exp Station, Cuba now Stylo scurra Moure.jpg)
Leptostylus scurra var maculifer Fisher Specimen Type: holotype Sex: f Institution: NMNH United States National Museum, Washington, DC, USA Photographer: JS Moure Collection Location: Santiago de Las Vegas Exp Station, Cuba 96958
|
 Fisher now stylo scurra KM.jpg)
Leptostylus thompsoni Fisher Specimen Type: paratype Institution: BMNH British Museum Natural History, London, UK Photographer: Keita Matsumoto Collection Location: Grand Cayman, Cayman Islands 76456
|
 Fisher now stylo scurra KM.jpg)
Leptostylus thompsoni Fisher Specimen Type: paratype Institution: BMNH British Museum Natural History, London, UK Photographer: Keita Matsumoto Collection Location: Grand Cayman, Cayman Islands 76457
|
_Hamilton_USNM_=_Styloleptus_biustus_biustus_(LeC).jpg)
Liopus minuens Hamilton Specimen Type: syntype Institution: NMNH United States National Museum, Washington, DC, USA Photographer: P. Naskrecki, P. Perkins, and B. Farrell 1784
|
_Det_Knull_(as_Styloleptus_minuens)_CAS.jpg)
Institution: CAS California Academy of Sciences, San Francisco, CA, USA Photographer: Larry G. Bezark Determiner: Knull Collection Location: (as Styloleptus minuens) 20752
|
|