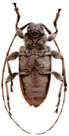
_FZPC_Piloto_Moa_Sierra_del_Crista_Holguin_Prov_Cuba_Devesa_pic.jpg)
Specimen Type: holotype Sex: f Institution: FZPC Fernando de Zayas Private Collection, Havana, Cuba Photographer: Sergio Devesa Collection Location: Piloto, Sierra del Crista, Moa Municipality, Holguin Province, Cuba 64877
|
_FZPC_Piloto_Moa_Sierra_del_Crista_Holguin_Prov_Cuba_Devesa_pic.jpg)
Specimen Type: holotype Sex: f Institution: FZPC Fernando de Zayas Private Collection, Havana, Cuba Photographer: Sergio Devesa Collection Location: Piloto, Sierra del Crista, Moa Municipality, Holguin Province, Cuba 64878
|
_FZPC_Piloto_Moa_Sierra_del_Crista_Holguin_Prov_Cuba_Devesa_pic.jpg)
Specimen Type: holotype Sex: f Institution: FZPC Fernando de Zayas Private Collection, Havana, Cuba Photographer: Sergio Devesa Collection Location: Piloto, Sierra del Crista, Moa Municipality, Holguin Province, Cuba 64879
|
_Zayas_MNHC_Cuba_Nearns_Zootaxa_=_Styloleptus_biustus_biustus_(Leconte).jpg)
Specimen Type: holotype Sex: f Institution: FZPC Fernando de Zayas Private Collection, Havana, Cuba Photographer: Gino Nearns Collection Location: Cuba 22966
|
_FZPC_Piloto_Moa_Sierra_del_Crista_Holguin_Prov_Cuba_Devesa_pic.jpg)
Specimen Type: paratype Sex: f Institution: FZPC Fernando de Zayas Private Collection, Havana, Cuba Photographer: Sergio Devesa Collection Location: Piloto, Sierra del Crista, Moa Municipality, Holguin Province, Cuba 64880
|
_FZPC_Piloto_Moa_Sierra_del_Crista_Holguin_Prov_Cuba_Devesa_pic.jpg)
Specimen Type: paratype Sex: f Institution: FZPC Fernando de Zayas Private Collection, Havana, Cuba Photographer: Sergio Devesa Collection Location: Piloto, Sierra del Crista, Moa Municipality, Holguin Province, Cuba 64881
|
_FZPC_Cuba_Devesa_pic.jpg)
Specimen Type: paratype Sex: f Institution: FZPC Fernando de Zayas Private Collection, Havana, Cuba Photographer: Sergio Devesa Collection Location: Piloto, Sierra del Crista, Moa Municipality, Holguin Province, Cuba 64882
|
_FSCA.jpg)
Institution: FSCA Florida State Collection of Arthropods, Gainesville, FL, USA Photographer: Mike Thomas 3000
|
|