New Search Family, Subfamily and Tribe List

SubFamily Lamiinae

Tribe Acanthocinini
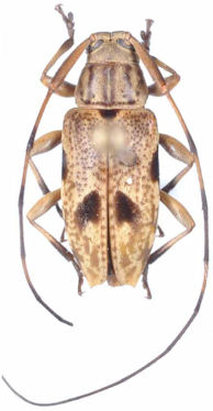
Stenolis theobromae (Lara & Shenefelt, 1964)

Photographer: Monne
30581


Institution: FTH Frank T. Hovore collection (now at California Academy of Sciences)
Photographer: Larry G. Bezark
13475

130425