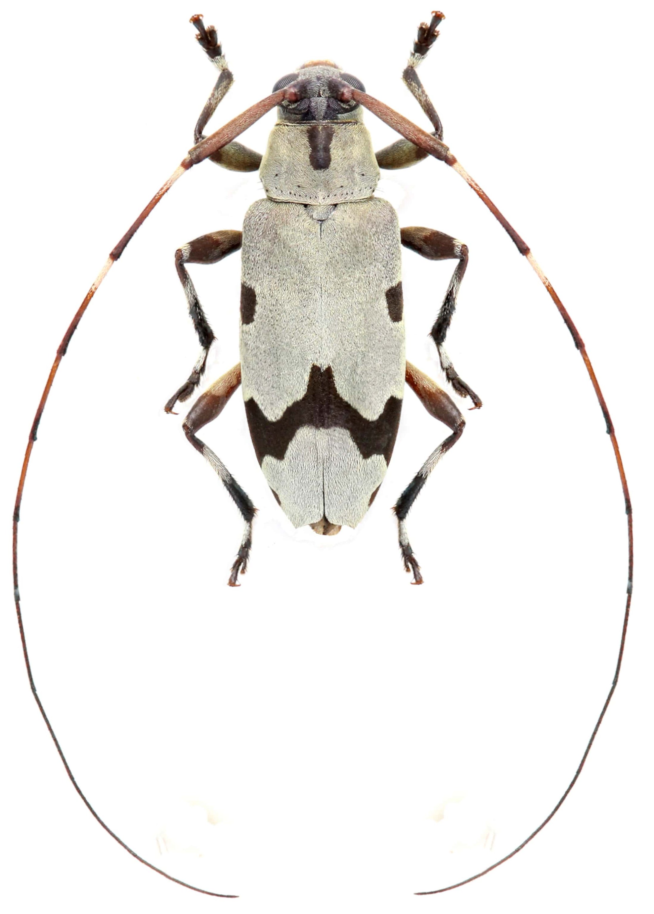
_Fabr_Nearns_now_Stenolis.jpg)
Stenocorus angulatus Fabricius Specimen Type: holotype Sex: m Institution: ZMUC University of Copenhagen, Zoological Museum, København, Denmark Photographer: Gino Nearns Collection Location: America Meridionali 42548
|
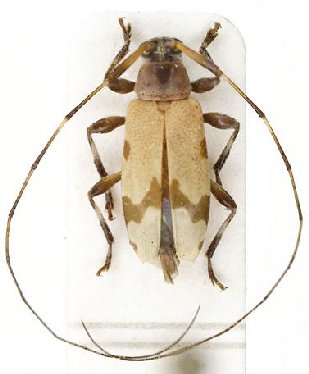
_MNRJ_SWL.jpg)
Institution: MNRJ Museu Nacional Universidade do Rio Janeiro, Brazil Photographer: Steve Lingafelter 13458
|
_French_Guiana_Faure.jpg)
Photographer: Denis Faure Collection Location: French Guiana 24103
|
_LGBC_ Simla Research Station, Trinidad Island, Trinidad & Tobago_LGB.jpg)
Institution: LGBC Larry G. Bezark Collection, Sacramento, California, USA Photographer: Larry G. Bezark Collection Location: Simla Research Station, Trinidad Island, Trinidad & Tobago 67903
|

Photographer: Jean-Louis Giuglaris Collection Location: Belizon, French Guiana 29349
|
 Fabr Matoury, French Guiana Robin.jpg)
Sex: m Photographer: Frédéric Robin Collection Location: Matoury, French Guiana 30567
|
|