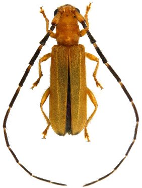
 Bates MNHN Banks of thge Tapajos, Para, Brazil Moure.jpg)
Specimen Type: holotype Sex: m Institution: MNHN Museum of Natural History Paris, France Photographer: JS Moure Collection Location: Banks of the Tapajos, Para, Brazil 100884
|
 Bates MNHN Banks of thge Tapajos, Para, Brazil Moure.jpg)
Specimen Type: holotype Sex: m Institution: MNHN Museum of Natural History Paris, France Photographer: JS Moure Collection Location: Banks of the Tapajos, Para, Brazil 100885
|
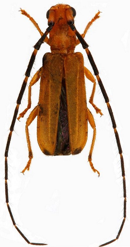
 Bates MZSP Senador Guiomard, Acre, Brazil SS.jpg)
Sex: f Institution: MZSP Museu de Zoologia da Universidade de São Paulo, Brazil Photographer: Antonio Santos-Silva Collection Location: Senador Guiomard, Acre, Brazil 81131
|

Collection Location: French Guiana 28485
|

Photographer: Jean-Louis Giuglaris Collection Location: Belizon, French Guiana 28714
|
_Bates_Ceram_Sul_Americanos.jpg)
Sex: m 21273
|

Photographer: Jean-Louis Giuglaris Collection Location: Kaw, French Guiana 68006
|
|