_White_BMNH_Brazil_nowSporetus_LGB.jpg)
Eutrypanus colobotheides White Specimen Type: syntype Institution: BMNH British Museum Natural History, London, UK Photographer: Larry G. Bezark Collection Location: Brazil 46816
|
 Lameere IRSNB Juiz de Fora, Minas Gerais, Brazil now Sporet coloboth Moure.jpg)
Eutrypanus nigrosignatus Lameere Specimen Type: lectotype Institution: IRSNB Royal Belgian Institute of Natural Sciences, Brussels, Belgium Photographer: JS Moure Collection Location: Juiz de Fora, Minas Gerais, Brazil 95716
|
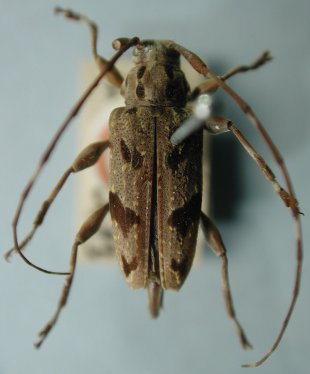
_(White)_Nova_Teutonia_Brazil_UCB.jpg)
Sex: f Institution: UCB Essig Museum of Entomology, Berkeley, California, USA Photographer: Larry G. Bezark Collection Location: Nova Teutonia, Santa Catarina, Brazil 13353
|
_(White)_Nova_Teutonia_Brazil_UCB.jpg)
Sex: m Institution: UCB Essig Museum of Entomology, Berkeley, California, USA Photographer: Larry G. Bezark Collection Location: Nova Teutonia, Santa Catarina, Brazil 13354
|
_Det_Martins_CAS.jpg)
Institution: CAS California Academy of Sciences, San Francisco, CA, USA Photographer: Larry G. Bezark Determiner: Martins 13355
|
|