_Bates_BMNH_=_Pseudolepturges.jpg)
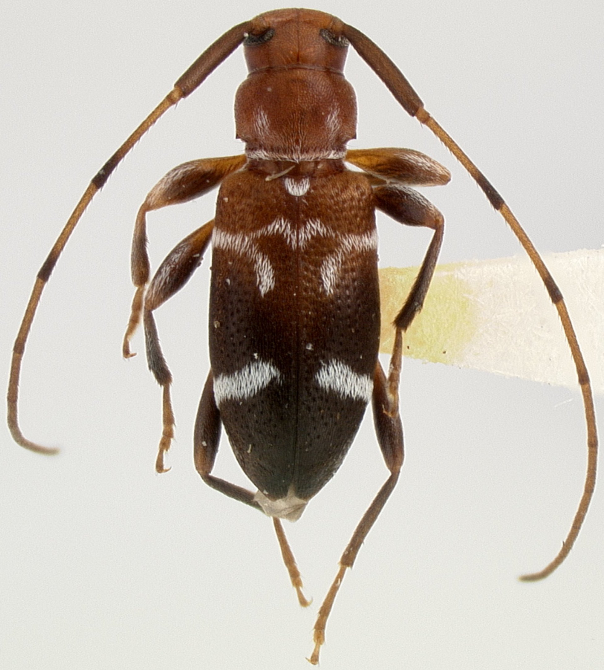
Lepturges rufulus Bates Specimen Type: holotype Institution: BMNH British Museum Natural History, London, UK Collection Location: 20461
|
_BCA_as_Lepturges.jpg)
Institution: BCA Biologia Centrali Americana Collection Location: as Lepturges 12722
|

Institution: FSCA Florida State Collection of Arthropods, Gainesville, FL, USA Photographer: Kyle Schnepp Collection Location: Purulha, Guatemala 12723
|
_Bates_FSCA_Purulha_Guatemala_Kyle_Schnepp.jpg)
Institution: FSCA Florida State Collection of Arthropods, Gainesville, FL, USA Photographer: Kyle Schnepp Collection Location: Purulha, Guatemala 67896
|
_Bates_FSCA_Purulha_Guatemala_Kyle_Schnepp.jpg)
Institution: FSCA Florida State Collection of Arthropods, Gainesville, FL, USA Photographer: Kyle Schnepp Collection Location: Purulha, Guatemala 67897
|
|