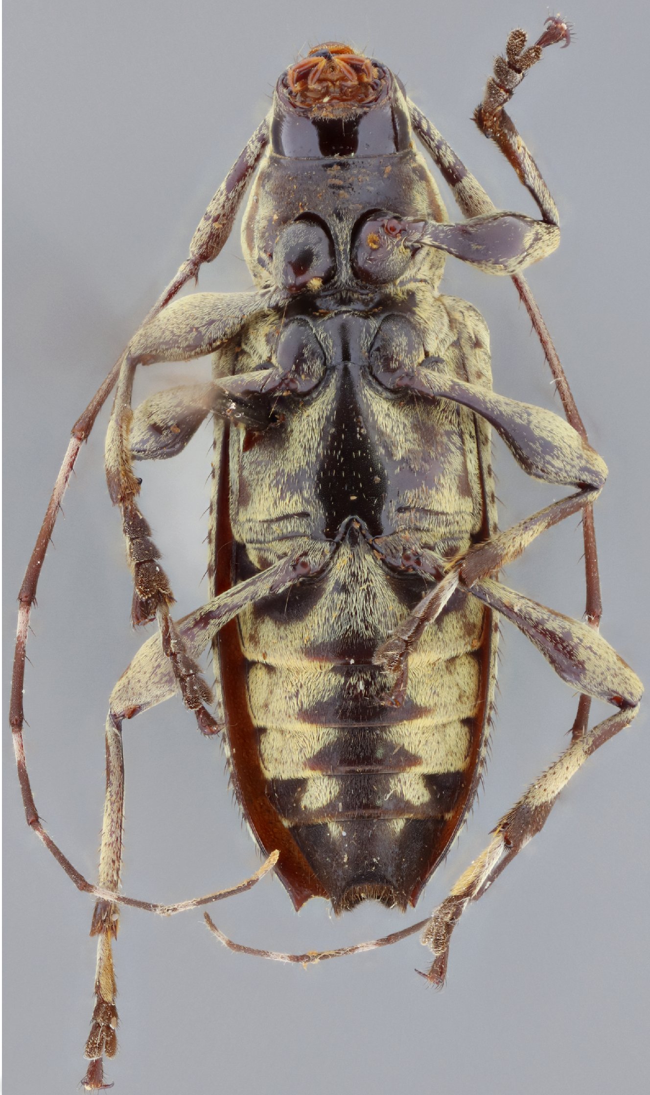
_(Bates)_MZSP_Para_Brazil_SS.jpg)
Sex: m Institution: MZSP Museu de Zoologia da Universidade de São Paulo, Brazil Photographer: Antonio Santos-Silva Collection Location: Para, Brazil 71999
|
_(Bates)_MZSP_Para_Brazil_SS.jpg)
Sex: m Institution: MZSP Museu de Zoologia da Universidade de São Paulo, Brazil Photographer: Antonio Santos-Silva Collection Location: Para, Brazil 72000
|