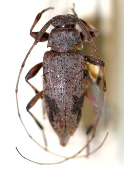
_Melzer_MZSP_Sao_Salvador_Bahia_SS.jpg)
Specimen Type: holotype Sex: m Institution: MZSP Museu de Zoologia da Universidade de São Paulo, Brazil Photographer: Antonio Santos-Silva Collection Location: Sao Salvador, Bahia, Brazil 12183
|
_Melzer_MZSP_Sao_Salvador_Bahia_SS.jpg)
Specimen Type: holotype Sex: m Institution: MZSP Museu de Zoologia da Universidade de São Paulo, Brazil Photographer: Antonio Santos-Silva Collection Location: Sao Salvador, Bahia, Brazil 71998
|

Institution: MNRJ Museu Nacional Universidade do Rio Janeiro, Brazil Photographer: Steve Lingafelter 12184
|

Collection Location: Sinop, Mato Grosso, Brazil 25338
|
|