New Search Family, Subfamily and Tribe List

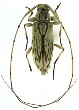
SubFamily Lamiinae

Tribe Acanthocinini
Paroecus lineatus (Monné & Martins, 1976)

Pattalinus lineatus Monne & Martins
Specimen Type: holotype
Institution: MNRJ Museu Nacional Universidade do Rio Janeiro, Brazil
Photographer: Steve Lingafelter
11816


Photographer: Jim Wappes
Collection Location: Bolivia
11817


Photographer: Alicia M. Hodson
42418

130425