 Thomson MNHN Amazonas, Brazil now Paroecus Moure.jpg)
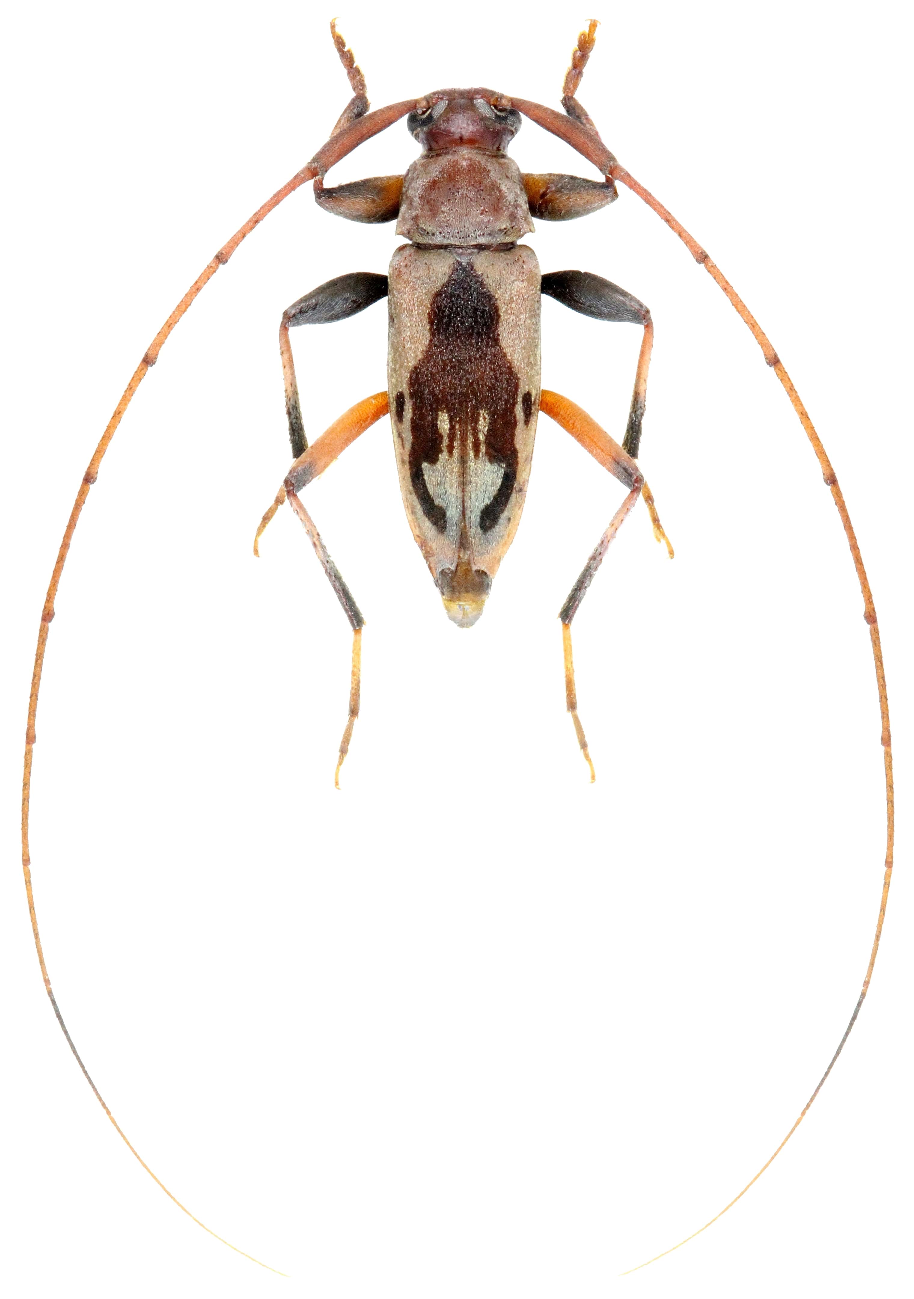
Astynomus celebensis Thomson Specimen Type: syntype Sex: m Institution: MNHN Museum of Natural History Paris, France Photographer: JS Moure Collection Location: Amazonas, Brazil 95374
|
 Thomson MNHN Fonte Boa, Amazonas, Brazil now celeb Moure.jpg)
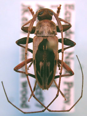
Paroecus ellipticus Thomson Specimen Type: syntype Sex: f Institution: MNHN Museum of Natural History Paris, France Photographer: JS Moure Collection Location: Fonte Boa, Amazonas, Brazil 100407
|
_Det_Tavakilian_French_Guiana_UCB.jpg)
Institution: UCB Essig Museum of Entomology, Berkeley, California, USA Photographer: Larry G. Bezark Determiner: Tavakilian Collection Location: French Guiana 11791
|
_FTH.jpg)
Institution: FTH Frank T. Hovore collection (now at California Academy of Sciences) Photographer: Larry G. Bezark 11792
|
 (Thom) Saul, French Guiana Robin.jpg)
Sex: m Photographer: Frédéric Robin Collection Location: Saul, French Guiana 79364
|
_Bates_BMNH_Hespenheide_FTH_=_Paroecus_celebensis_(Thomson).jpg)
Paroecus ellipticus Bates Institution: BMNH British Museum Natural History, London, UK Photographer: Henry Hespenheide 18048
|
_Faure_French_Guiana.jpg)
Photographer: Denis Faure Collection Location: French Guiana 22414
|
_Napo_Ecuador_LGB.jpg)
Photographer: Larry G. Bezark Collection Location: Napo, Ecuador 23586
|
_Kaw_FG_JLG.jpg)
Photographer: Jean-Louis Giuglaris Collection Location: Kaw, French Guiana 11790
|