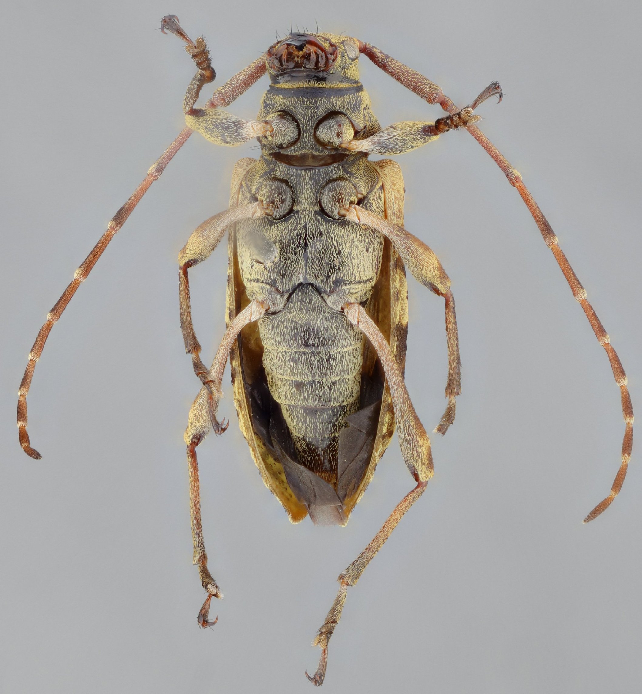
 Cosanga, Napo, Ecuador SS.jpg)
Sex: f Institution: QCAZ Museo Zoologia, Pontificia Universidad Catolica, Quito, Ecuador Photographer: Antonio Santos-Silva Collection Location: Cosanga, Napo, Ecuador 76009
|
 Cosanga, Napo, Ecuador SS.jpg)
Sex: f Institution: QCAZ Museo Zoologia, Pontificia Universidad Catolica, Quito, Ecuador Photographer: Antonio Santos-Silva Collection Location: Cosanga, Napo, Ecuador 76010
|
 Cosanga, Napo, Ecuador SS.jpg)
Sex: f Institution: QCAZ Museo Zoologia, Pontificia Universidad Catolica, Quito, Ecuador Photographer: Antonio Santos-Silva Collection Location: Cosanga, Napo, Ecuador 76011
|
 Cosanga, Napo, Ecuador SS.jpg)
Sex: f Institution: QCAZ Museo Zoologia, Pontificia Universidad Catolica, Quito, Ecuador Photographer: Antonio Santos-Silva Collection Location: Cosanga, Napo, Ecuador 76012
|
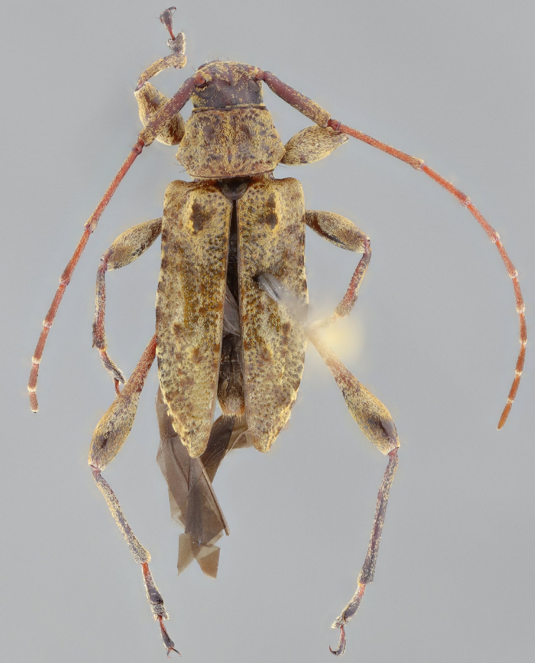
 Cosanga, Napo, Ecuador SS.jpg)
Sex: m Institution: QCAZ Museo Zoologia, Pontificia Universidad Catolica, Quito, Ecuador Photographer: Antonio Santos-Silva Collection Location: Cosanga, Napo, Ecuador 76013
|
_Monne_and_Martins_Rev_Bras_Zoo.jpg)
Sex: m 24349
|
|