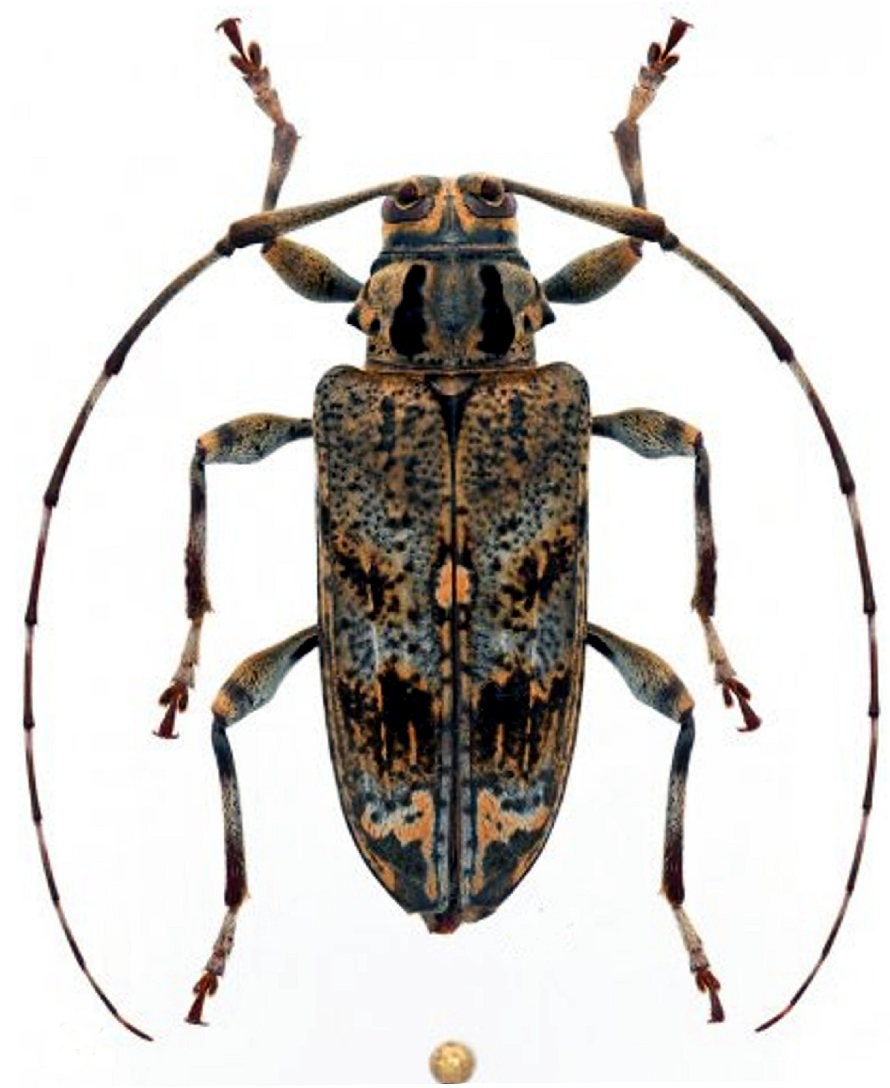
_Gilmour_MAGD_St_Inez_New_Granada_Colombia_JS_Moure.jpg)
Specimen Type: holotype Sex: m Institution: MAGD Museum & Art Gallery of Doncaster, England Photographer: JS Moure Collection Location: St Inez, New Granada, Colombia 71990
|
_Gilmour_JW.jpg)
Sex: m Photographer: Jim Wappes Collection Location: Bolivia 42408
|
_Gilmour_JW.jpg)
Sex: f Photographer: Jim Wappes Collection Location: Bolivia 42409
|
_Gilmour_10km_N_El_Llano_Pan_Prov_Panama_LGB.jpg)
Sex: f Institution: LGBC Larry G. Bezark Collection, Sacramento, California, USA Photographer: Larry G. Bezark Collection Location: 10 km N El Llano, Panama Province, Panama 67895
|

Institution: LGBC Larry G. Bezark Collection, Sacramento, California, USA Photographer: Larry G. Bezark Determiner: Miguel Monne Collection Location: El Llano, Panama 71548
|
_Pastaza_Ecuador_Det_Monne.jpg)
Institution: LGBC Larry G. Bezark Collection, Sacramento, California, USA Photographer: Larry G. Bezark Determiner: Miguel Monne Collection Location: El Llano, Panama 71549
|
 Gilmour MZSP 42 km Road Mocoa-Pilatito, Cauca, Colombia JP Roguet.jpg)
Sex: f Institution: MZSP Museu de Zoologia da Universidade de São Paulo, Brazil Photographer: JP Roguet, https://lamiinae.org Collection Location: 42 km Road Mocoa-Pilatito, Cauca, Colombia 91016
|
 Gilmour MZSP 42 km Road Mocoa-Pilatito, Cauca, Colombia JP Roguet.jpg)
Sex: f Institution: MZSP Museu de Zoologia da Universidade de São Paulo, Brazil Photographer: JP Roguet, https://lamiinae.org Collection Location: 42 km Road Mocoa-Pilatito, Cauca, Colombia 91017
|
 Gilmour MZSP 42 km Road Mocoa-Pilatito, Cauca, Colombia JP Roguet.jpg)
Sex: f Institution: MZSP Museu de Zoologia da Universidade de São Paulo, Brazil Photographer: JP Roguet, https://lamiinae.org Collection Location: 42 km Road Mocoa-Pilatito, Cauca, Colombia 91018
|
 Gilmour MZSP 42 km Road Mocoa-Pilatito, Cauca, Colombia JP Roguet.jpg)
Sex: f Institution: MZSP Museu de Zoologia da Universidade de São Paulo, Brazil Photographer: JP Roguet, https://lamiinae.org Collection Location: 42 km Road Mocoa-Pilatito, Cauca, Colombia 91019
|

Institution: MNRJ Museu Nacional Universidade do Rio Janeiro, Brazil Photographer: Steve Lingafelter 11681
|
|