New Search Family, Subfamily and Tribe List

SubFamily Lamiinae

Tribe Acanthocinini
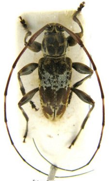
Palame mimetica Monné 1985

Specimen Type: holotype
Institution: MNRJ Museu Nacional Universidade do Rio Janeiro, Brazil
Photographer: Steve Lingafelter
11624


Photographer: Jean-Louis Giuglaris
Collection Location: Belizon, French Guiana
29203

130425