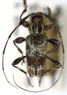
 Bates MNHN Amazonia, Brazil Moure.jpg)
Specimen Type: syntype Institution: MNHN Museum of Natural History Paris, France Photographer: JS Moure Collection Location: Amazonia, Brazil 100406
|
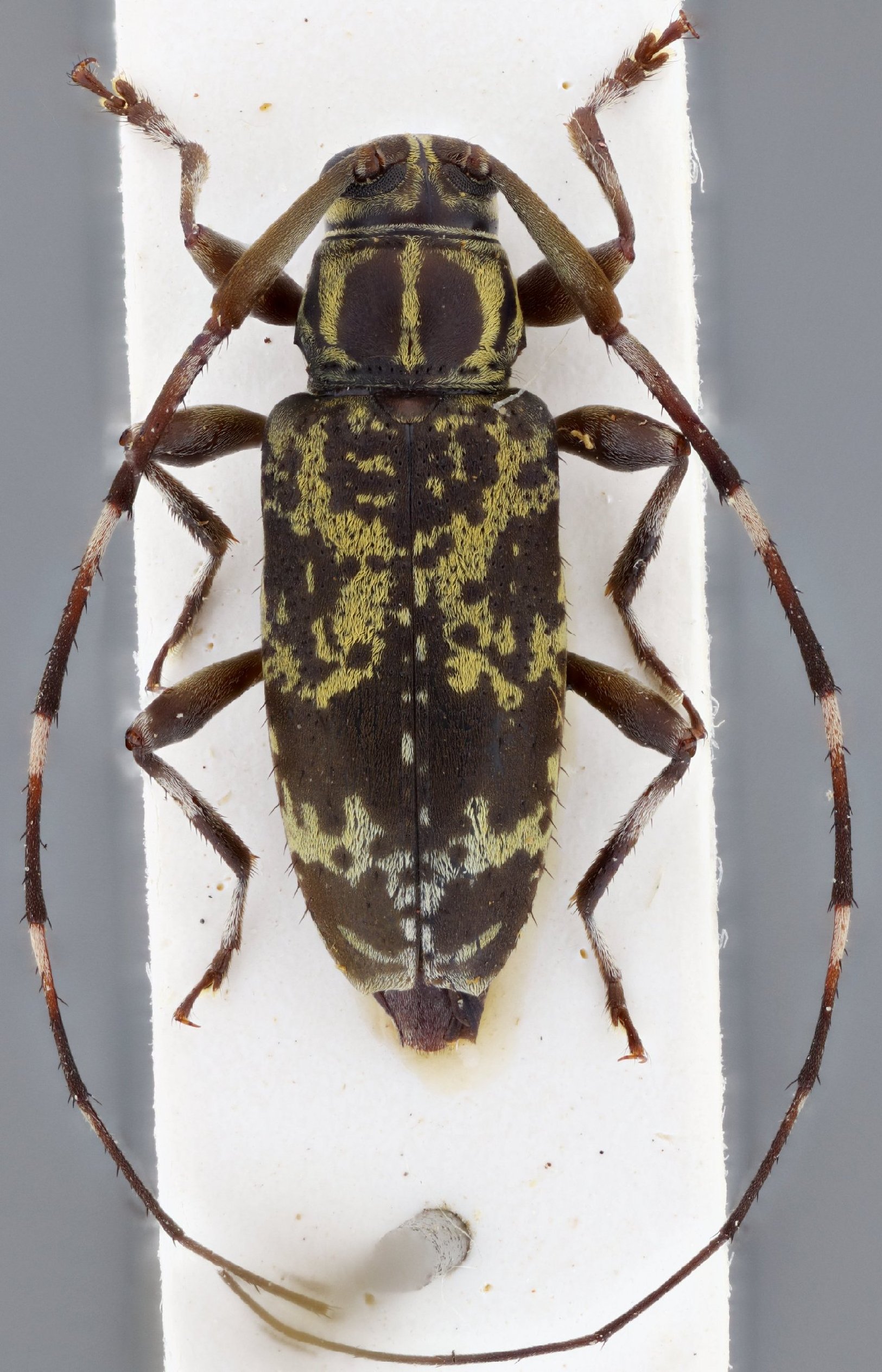
_Gilmour_AMNH_Manaus_Amazonas_Brazil_=_Palame_crassimana.jpg)
Nyssodoretus olivoniger Gilmour Specimen Type: holotype Sex: f Institution: AMNH American Museum of Natural History, New York, NY, USA Collection Location: Manaus, Amazonas, Brazil 27860
|
 Gilmour AMNH Kamakusa, Guyana now Palame crass Moure.jpg)
Xorathes guianensis Gilmour Specimen Type: holotype Sex: f Institution: AMNH American Museum of Natural History, New York, NY, USA Photographer: JS Moure Collection Location: Kamakusa, Guyana 28004
|

Photographer: Larry G. Bezark Determiner: Monne Collection Location: Rondonia, Brazil 22402
|

Photographer: Denis Faure Collection Location: French Guiana 22403
|
_Bates_MSZP_French_Guiana_SS.jpg)
Sex: m Institution: MZSP Museu de Zoologia da Universidade de São Paulo, Brazil Photographer: Antonio Santos-Silva Collection Location: French Guiana 11621
|

Institution: UCB Essig Museum of Entomology, Berkeley, California, USA Photographer: Larry G. Bezark Determiner: Tavakilian Collection Location: French Guiana 11622
|

Institution: MNRJ Museu Nacional Universidade do Rio Janeiro, Brazil Photographer: Steve Lingafelter 11623
|
|