_Gilmour_AMNH_Peru_=_Ozineus.jpg)
Acarozineus striatus Gilmour Specimen Type: holotype Sex: m Institution: AMNH American Museum of Natural History, New York, NY, USA Collection Location: Satipo, Junin, Peru 27670
|
_Bates_MNHN_FTH.jpg)
Ozineus strigosus Bates Specimen Type: holotype Institution: MNHN Museum of Natural History Paris, France Collection Location: Cayenne, French Guiana 17976
|
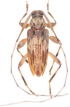
 Gilmour AMNH Satipo, Junin, Peru now Stern strigos Moure.jpg)
Acarinozineus striatus Gilmour Specimen Type: holotype Sex: m Institution: AMNH American Museum of Natural History, New York, NY, USA Photographer: JS Moure Collection Location: Satipo, Junin, Peru 22433
|

Institution: UCB Essig Museum of Entomology, Berkeley, California, USA Photographer: Larry G. Bezark Determiner: Tavakilian Collection Location: French Guiana 11586
|
_3-7kmSSE_Buena_Vista_Hotel_F_and_F.jpg)
Collection Location: 3-7 km SSE Buena Vista, Flora & Fauna Hotel 37157
|

Photographer: Jim Wappes Collection Location: Bolivia 42406
|

Photographer: Denis Faure Collection Location: French Guiana 29196
|

Photographer: Jean-Louis Giuglaris Collection Location: Regina, French Guiana 29197
|
|