_Monne_Mart_MZSP_Santa_Cruz_Bolivia_SS.jpg)
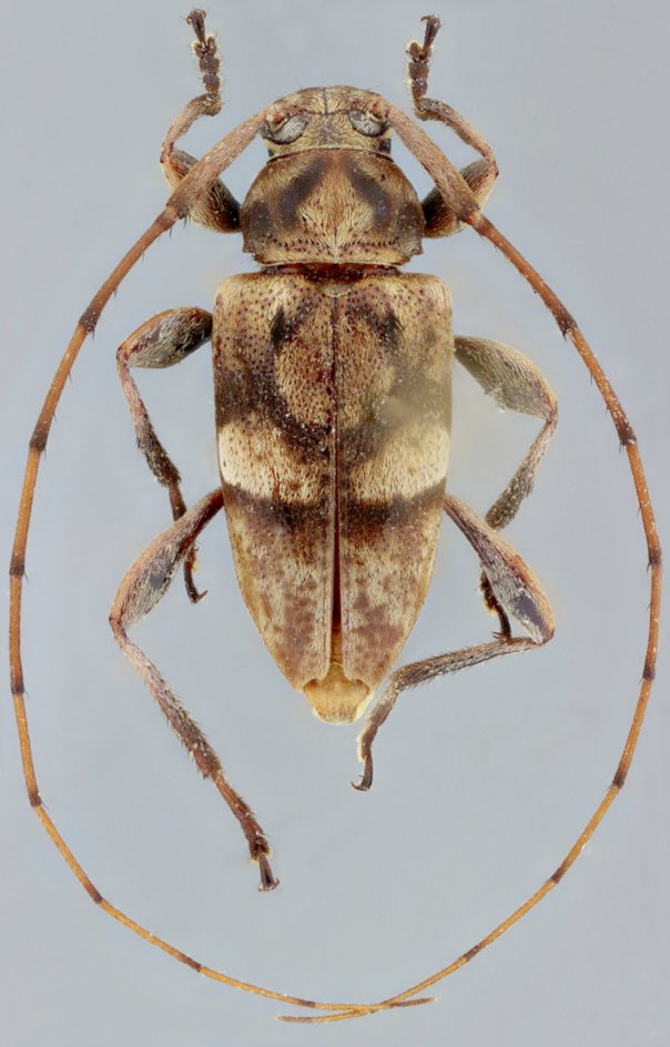
Ozineus orbiculus Monné Specimen Type: holotype Sex: f Institution: MZSP Museu de Zoologia da Universidade de São Paulo, Brazil Photographer: Antonio Santos-Silva Collection Location: Santa Cruz, Santa Cruz, Bolivia 69900
|
_Monne_and_Martins_MZSP_SWL.jpg)
Ozineus orbiculus Monne & Martins Specimen Type: holotype Sex: f Institution: MZSP Museu de Zoologia da Universidade de São Paulo, Brazil Photographer: Steve Lingafelter Collection Location: Santa Cruz, Santa Cruz, Bolivia 11582
|

Institution: LGBC Larry G. Bezark Collection, Sacramento, California, USA Photographer: Larry G. Bezark Collection Location: 62 km SE Ariquemes, Rondonia, Brazil 34017
|
|