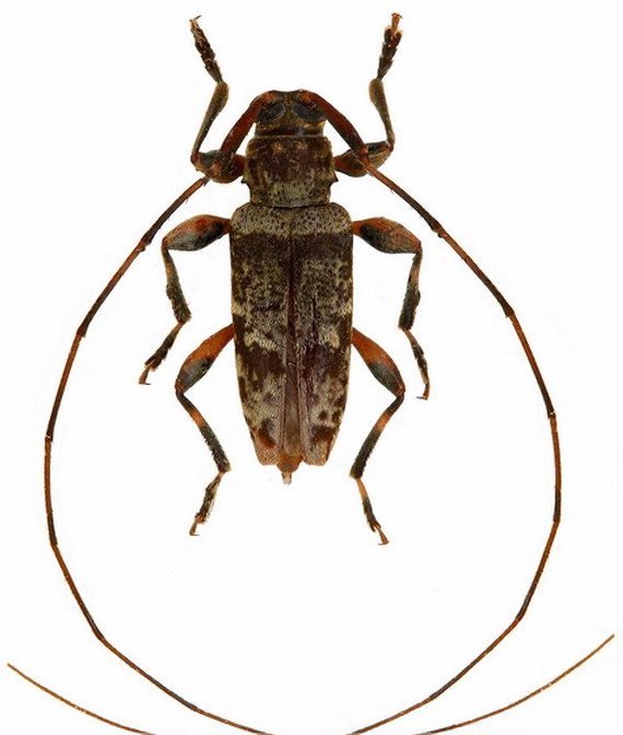
 Bates MNHN Tefe (originally Ega), Amazonas, Brazil Moure.jpg)
Specimen Type: holotype Institution: MNHN Museum of Natural History Paris, France Photographer: JS Moure Collection Location: Tefe (originally Ega), Amazonas, Brazil 100401
|
_Bates_MNHN_FTH.jpg)
Specimen Type: holotype Institution: MNHN Museum of Natural History Paris, France Photographer: Frank T. Hovore Collection Location: Tefe (originally Ega), Amazonas, Brazil 17974
|
_Bates_SS.jpg)
Sex: f Institution: MZSP Museu de Zoologia da Universidade de São Paulo, Brazil Photographer: Antonio Santos-Silva 73200
|
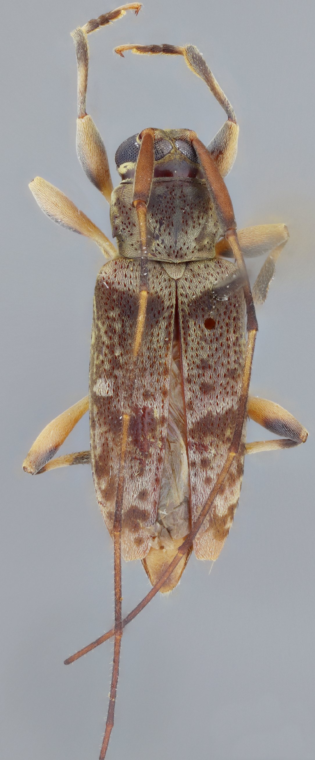
 Bates MZSP FES Antimary, Bujari, Acre, Brazil SS.jpg)
Sex: m Institution: MZSP Museu de Zoologia da Universidade de São Paulo, Brazil Photographer: Antonio Santos-Silva Collection Location: FES Antimary, Bujari, Acre, Brazil 81143
|
_Bates_SS.jpg)
Sex: f Institution: MZSP Museu de Zoologia da Universidade de São Paulo, Brazil Photographer: Antonio Santos-Silva 73201
|

Photographer: Jean-Louis Giuglaris Collection Location: Belizon, French Guiana 29195
|

Photographer: Denis Faure Collection Location: French Guiana 23567
|

Institution: FTH Frank T. Hovore collection (now at California Academy of Sciences) Photographer: Larry G. Bezark 11572
|

Institution: MNRJ Museu Nacional Universidade do Rio Janeiro, Brazil Photographer: Steve Lingafelter 11573
|