_Melzer_MZSP_Itatiaia_RJ_Brazil_SS.jpg)
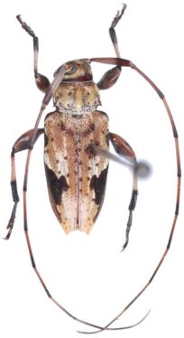
Ozineus alienus Melzer Specimen Type: holotype Institution: MZSP Museu de Zoologia da Universidade de São Paulo, Brazil Photographer: Antonio Santos-Silva Collection Location: Itatiaia, Rio de Janeiro, Brazil 69893
|
_Melzer_MZSP_SWL.jpg)
Ozineus alienus Melzer Specimen Type: holotype Institution: MZSP Museu de Zoologia da Universidade de São Paulo, Brazil Photographer: Steve Lingafelter 11560
|