New Search Family, Subfamily and Tribe List

SubFamily Lamiinae

Tribe Acanthocinini
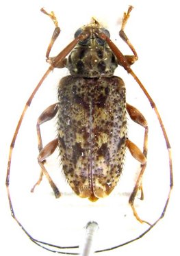
Oedopeza flavosparsa Monné 1990

Specimen Type: holotype
Photographer: Jim Wappes
Collection Location: Bolivia
11031


Specimen Type: holotype
Institution: MNRJ Museu Nacional Universidade do Rio Janeiro, Brazil
Photographer: Steve Lingafelter
11032


Photographer: Denis Faure
Collection Location: French Guiana
28936


Photographer: Jean-Louis Giuglaris
Collection Location: Pt Soumourou, French Guiana
28937

130425