_Gilmour_AMNH_Mt._Duida_Venezuela.jpg)
Nyssosternus duidaensis Gilmour Specimen Type: holotype Sex: f Institution: AMNH American Museum of Natural History, New York, NY, USA Collection Location: Mt. Duida, Venezuela 27863
|
_Gilmour_Mt_Duida_Venezuela_Gilmour_1963.jpg)
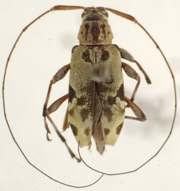
Nyssosternus duidaensis Gilmour Specimen Type: holotype Sex: f Institution: AMNH American Museum of Natural History, New York, NY, USA Collection Location: Mt Duida, Venezuela 23100
|