_Monne_MNRJ_SWL.jpg)
Specimen Type: holotype Sex: m Institution: MNRJ Museu Nacional Universidade do Rio Janeiro, Brazil Photographer: Steve Lingafelter Collection Location: Corcovado, Rio de Janeiro, Brazil 10734
|
 Monne MZSP Res dos Toledos, Itajuba, Minas Gerais, Brazil.jpg)
Sex: f Institution: MZSP Museu de Zoologia da Universidade de São Paulo, Brazil Photographer: Antonio Santos-Silva Collection Location: Reserva dos Toledos, Itajuba, Minas Gerais, Brazil 96218
|
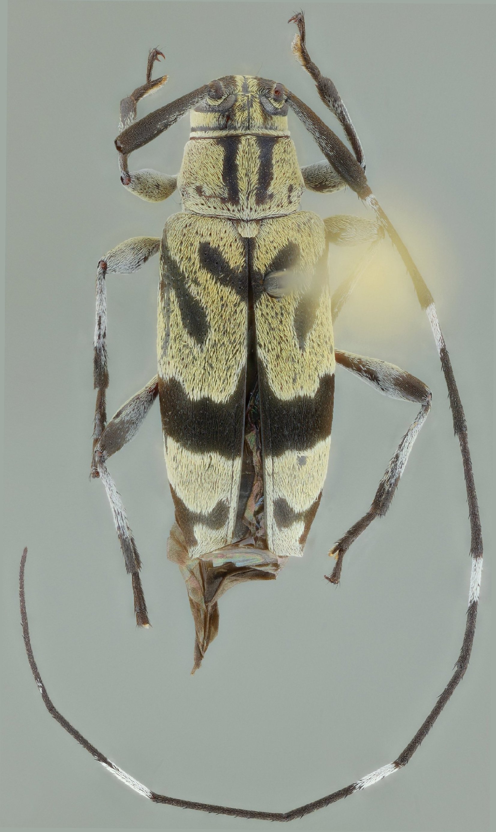
 Monne MZSP Res dos Toledos, Itajuba, Minas Gerais, Brazil.jpg)
Sex: f Institution: MZSP Museu de Zoologia da Universidade de São Paulo, Brazil Photographer: Antonio Santos-Silva Collection Location: Reserva dos Toledos, Itajuba, Minas Gerais, Brazil 96219
|
|