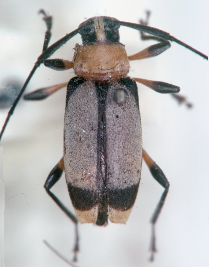
 Bates MNHN Sao Paolo de Olivenca, Amazonas, Brazil now Stenolis Moure.jpg)
Lepturges dulcissimus Bates Specimen Type: holotype Sex: f Institution: MNHN Museum of Natural History Paris, France Photographer: JS Moure Collection Location: Sao Paolo de Olivenca, Amazonas, Brazil 100269
|
_Napo_Ecuador_Giesbert_Coll_FSCA.jpg)
Institution: EMG Ed Giesbert Collection (now at FSCA) Photographer: Larry G. Bezark Collection Location: Napo, Ecuador 10669
|
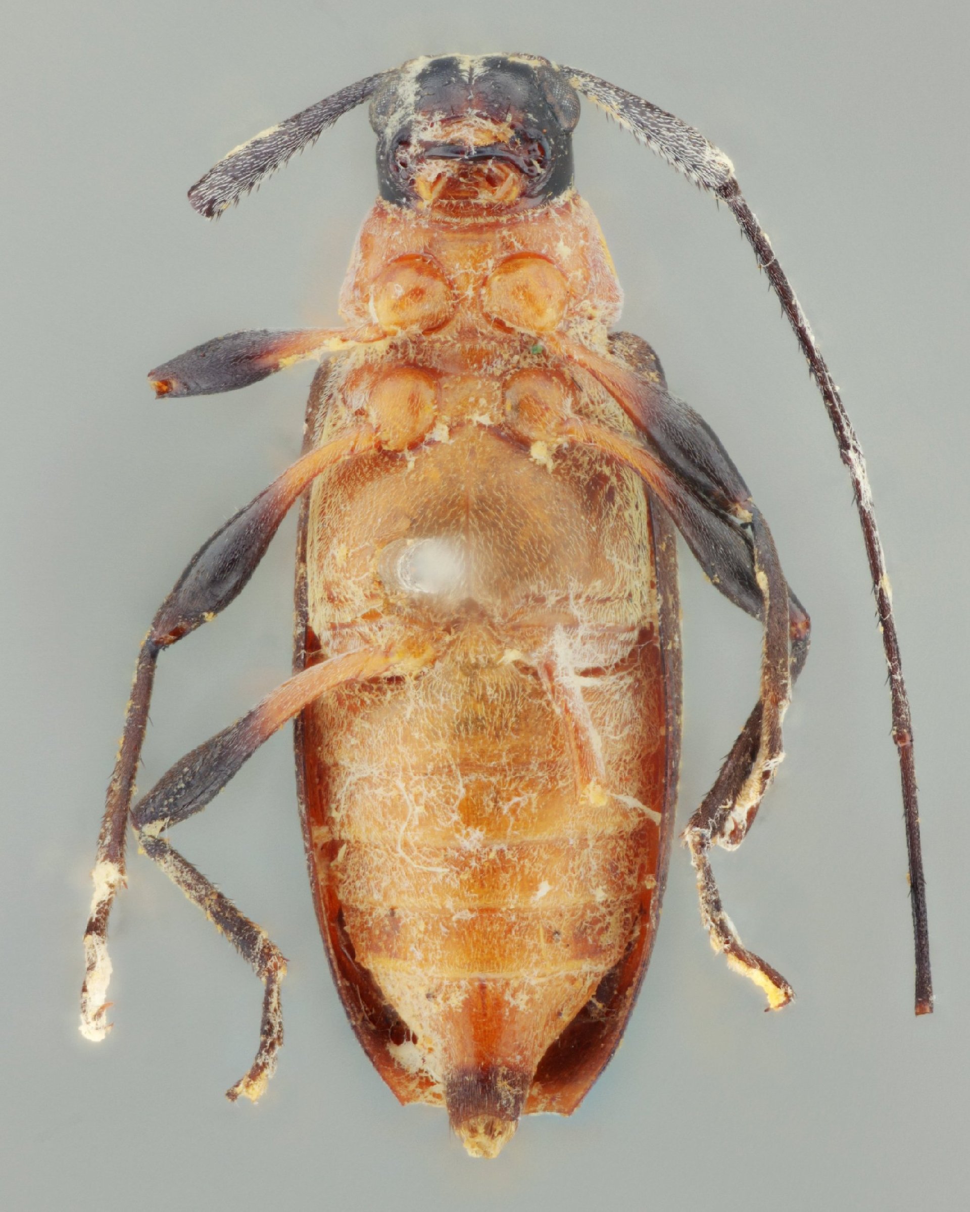
 (Bates) MZSP Satipo, Peru SS2.jpg)
Sex: f Institution: MZSP Museu de Zoologia da Universidade de São Paulo, Brazil Photographer: Antonio Santos-Silva Collection Location: Satipo, Junin, Peru 97699
|
 (Bates) MZSP Satipo, Peru SS2.jpg)
Sex: f Institution: MZSP Museu de Zoologia da Universidade de São Paulo, Brazil Photographer: Antonio Santos-Silva Collection Location: Satipo, Junin, Peru 97700
|
|