_Monne_and_Martins_MNRJ_SWL_=_Neoeutrypanus.jpg)
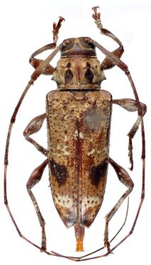
Eutrypanus inustus Monne & Martins Specimen Type: holotype Institution: MNRJ Museu Nacional Universidade do Rio Janeiro, Brazil Photographer: Steve Lingafelter 7893
|
_Monne and_Martins_now_Neoeutrypanus.jpg)
Eutrypanus inustus Monne & martins Specimen Type: paratype Sex: f Institution: MNRJ Museu Nacional Universidade do Rio Janeiro, Brazil Photographer: Monne 48235
|