 Bates MNHN Banks of the Cupari, branch of the Tapajos, Para, Brazil now Neoeutry Moure.jpg)
Eutrypanus incertus Bates Specimen Type: syntype Institution: MNHN Museum of Natural History Paris, France Photographer: JS Moure Collection Location: Banks of the Cupari, branch of the Tapajos, Para, Brazil 95715
|
_BCA_as_Oedopeza_incerta.jpg)
Institution: BCA Biologia Centrali Americana Collection Location: as Oedopeza incerta 10516
|
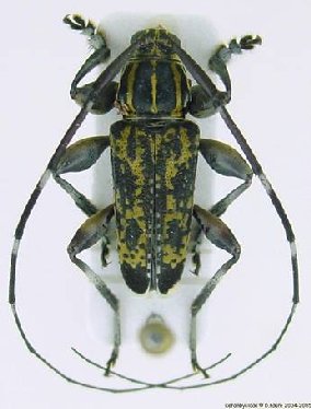
_Det_Tavakilian_French_Guiana_UCB.jpg)
Institution: UCB Essig Museum of Entomology, Berkeley, California, USA Photographer: Larry G. Bezark Determiner: Tavakilian Collection Location: French Guiana 10517
|
_Faure_French_Guiana.jpg)
Photographer: Denis Faure Collection Location: French Guiana 22118
|
_La_Riviere_Sinnamary_Fr_Guiana.jpg)
Institution: EMEC Essig Museum of Entomology, Berkeley, CA, USA Photographer: Larry G. Bezark Collection Location: La Riviere, Sinnamary, French Guiana 44943
|
|