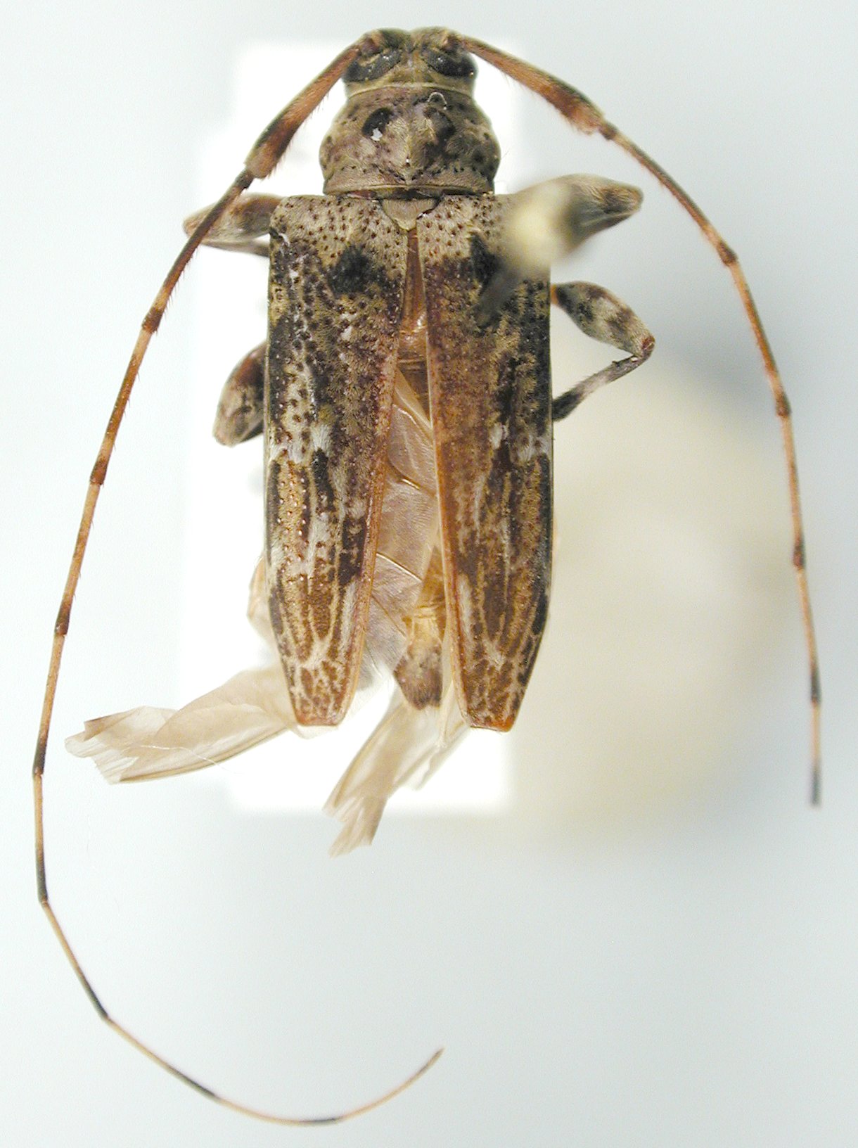
_Monne_and_Delfino_Venezuela_Rev_Bras_Ent_1986.jpg)
Specimen Type: paratype Sex: m Collection Location: Venezuela 22099
|

Institution: JCPC Jim Cope Collection, San Jose, California, USA now at CSCA, Sacramento Photographer: Larry G. Bezark Determiner: Jim Cope Collection Location: Geremba, Aragua, Venezuela 97861
|