_Bates_MNHN_ Tefe_Ega_Amazon_Brazil_now_Lathroeus_Moure.jpg)
Alcidion interrogationis Bates Specimen Type: holotype Institution: MNHN Museum of Natural History Paris, France Photographer: J S Moure Collection Location: Tefe (originally Ega), Amazonas, Brazil 72904
|
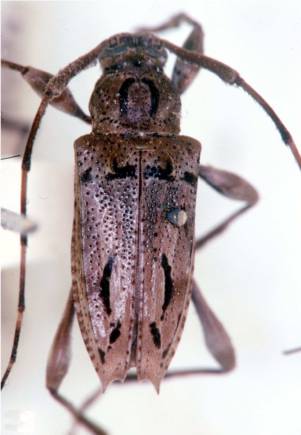
_Bates_MNHN_FTH_=_Nealcidion_interrogationis.jpg)
Alcidion interrogationis Bates Specimen Type: holotype Institution: MNHN Museum of Natural History Paris, France Collection Location: Tefe (originally Ega), Amazonas, Brazil 15090
|