.jpg)
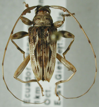
Institution: FTH Frank T. Hovore collection (now at California Academy of Sciences) Photographer: Larry G. Bezark Collection Location: Shushufindi, Orellana Province, Ecuador 28236
|
.jpg)
Institution: FTH Frank T. Hovore collection (now at California Academy of Sciences) Photographer: Larry G. Bezark Collection Location: Shushufindi, Orellana Province, Ecuador 28237
|