New Search Family, Subfamily and Tribe List

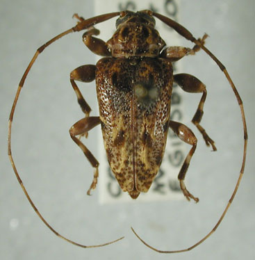
SubFamily Lamiinae

Tribe Acanthocinini
Lophopoeum humerosum Monné & Martins 1976

Institution: EMG Ed Giesbert Collection (now at FSCA)
Photographer: Larry G. Bezark
Collection Location: Canas, Costa Rica
9467

130425