 Bates MNHN Tefe (orig Ega), Amazonas, Brazil Moure.jpg)
Specimen Type: holotype Institution: MNHN Museum of Natural History Paris, France Photographer: JS Moure Collection Location: Tefe (orig Ega), Amazonas, Brazil 100333
|
_Bates_MNHN_FTH.jpg)
Specimen Type: holotype Institution: MNHN Museum of Natural History Paris, France 17196
|
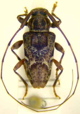
_Martins_and_Monne_MZSP_SWL_=_Lophopoeum_circumflexum_Bates.jpg)
Lophopoeum hyleanum Martins & Monné Specimen Type: holotype Institution: MZSP Museu de Zoologia da Universidade de São Paulo, Brazil Photographer: Steve Lingafelter Collection Location: Satipo, Junin, Peru 9468
|
_Martins_and_Monne_Satipo_Junin_Peru_Pap_Avuls_Zoo.jpg)
Lophopoeum hyleanum Martins & Monne Specimen Type: holotype Sex: m Institution: MZSP Museu de Zoologia da Universidade de São Paulo, Brazil Collection Location: Satipo, Junin, Peru 22051
|

Institution: UCB Essig Museum of Entomology, Berkeley, California, USA Photographer: Larry G. Bezark Determiner: Gerard Tavakilian Collection Location: French Guiana 9465
|

Photographer: Denis Faure Collection Location: French Guiana 28863
|
|