_Lewis_CAS_type_13031_=_Liopinus.jpg)
Specimen Type: holotype Institution: CAS California Academy of Sciences, San Francisco, CA, USA Photographer: Larry G. Bezark Collection Location: Arizona 25261
|
_Lewis_CAS_=_Liopinus.jpg)
Specimen Type: allotype Institution: CAS California Academy of Sciences, San Francisco, CA, USA Photographer: Larry G. Bezark 2921
|
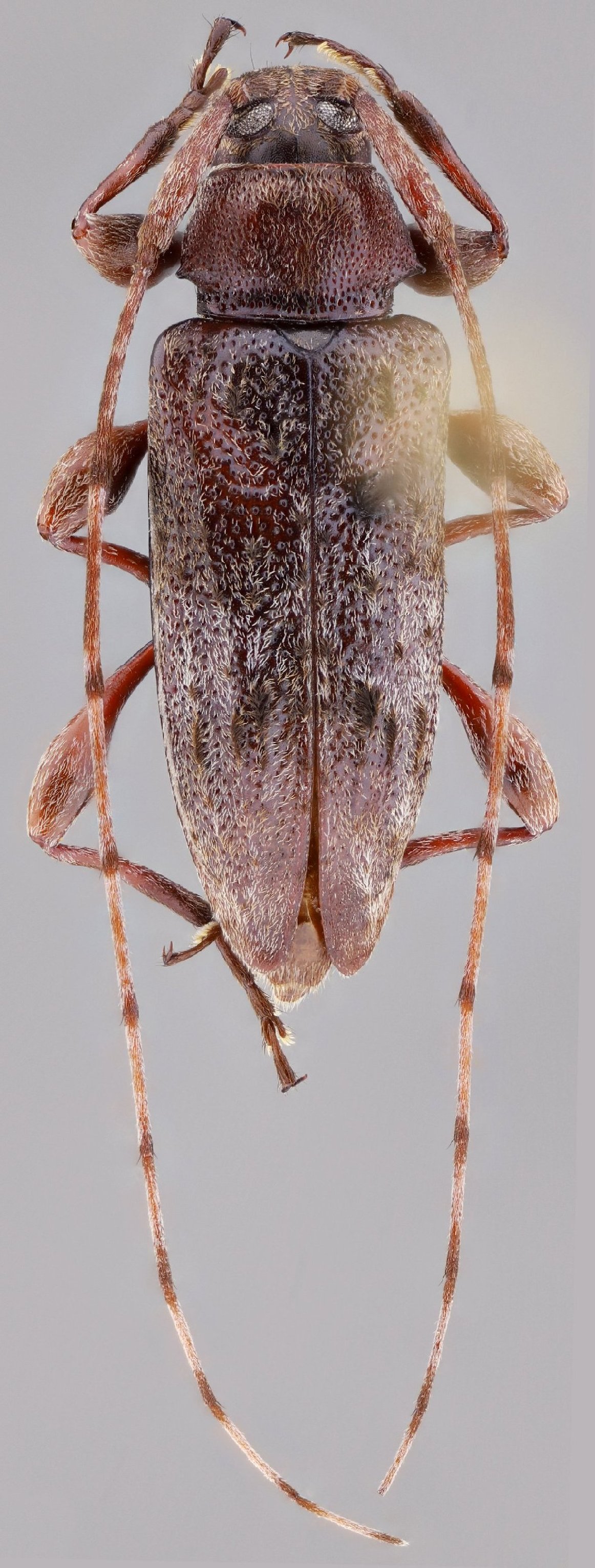
 Lewis FSCA 25 km NE La Cap. de Taxte, Sinaloa, Mexico SS.jpg)
Sex: m Institution: MZSP Museu de Zoologia da Universidade de São Paulo, Brazil Photographer: Antonio Santos-Silva Collection Location: 25 km NE La Cap. de Taxte, Sinaloa, Mexico 96684
|
 Lewis FSCA 25 km NE La Cap. de Taxte, Sinaloa, Mexico SS.jpg)
Sex: m Institution: MZSP Museu de Zoologia da Universidade de São Paulo, Brazil Photographer: Antonio Santos-Silva Collection Location: 25 km NE La Cap. de Taxte, Sinaloa, Mexico 96685
|
 Lewis FSCA 25 km NE La Cap. de Taxte, Sinaloa, Mexico SS.jpg)
Sex: m Institution: MZSP Museu de Zoologia da Universidade de São Paulo, Brazil Photographer: Antonio Santos-Silva Collection Location: 25 km NE La Cap. de Taxte, Sinaloa, Mexico 96686
|
 Lewis FSCA 25 km NE La Cap. de Taxte, Sinaloa, Mexico SS.jpg)
Sex: m Institution: MZSP Museu de Zoologia da Universidade de São Paulo, Brazil Photographer: Antonio Santos-Silva Collection Location: 25 km NE La Cap. de Taxte, Sinaloa, Mexico 96687
|
 Lewis FSCA 50 km La Cap. de Taxte, Durango, Mexico SS.jpg)
Sex: f Institution: MZSP Museu de Zoologia da Universidade de São Paulo, Brazil Photographer: Antonio Santos-Silva Collection Location: 25 km NE La Cap. de Taxte, Sinaloa, Mexico 96688
|
 Lewis FSCA 50 km La Cap. de Taxte, Durango, Mexico SS.jpg)
Sex: f Institution: MZSP Museu de Zoologia da Universidade de São Paulo, Brazil Photographer: Antonio Santos-Silva Collection Location: 25 km NE La Cap. de Taxte, Sinaloa, Mexico 96689
|
_Det_Lewis_Madera_Canyon_Arizona_UCB.jpg)
Institution: UCB Essig Museum of Entomology, Berkeley, California, USA Photographer: Larry G. Bezark Determiner: Art Lewis Collection Location: Madera Canyon, Arizona 1749
|
|