_FZPC_Cuba_Devesa_pic.jpg)
Specimen Type: holotype Sex: f Institution: FZPC Fernando de Zayas Private Collection, Havana, Cuba Photographer: Sergio Devesa Collection Location: Santa Lucia, Camaguey, Cuba 64874
|
_FZPC_Cuba_Devesa_pic.jpg)
Specimen Type: holotype Sex: f Institution: FZPC Fernando de Zayas Private Collection, Havana, Cuba Photographer: Sergio Devesa Collection Location: Santa Lucia, Camaguey, Cuba 64875
|
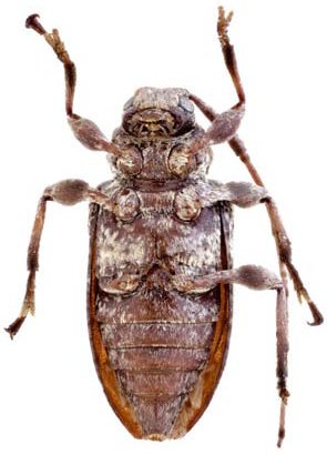
_FZPC_Cuba_Devesa_pic.jpg)
Specimen Type: holotype Sex: f Institution: FZPC Fernando de Zayas Private Collection, Havana, Cuba Photographer: Sergio Devesa Collection Location: Santa Lucia, Camaguey, Cuba 64876
|
_Zayas_MNHC_Cuba_Nearns_Zootaxa.jpg)
Specimen Type: holotype Institution: FZPC Fernando de Zayas Private Collection, Havana, Cuba Photographer: Gino Nearns Collection Location: Cuba 22965
|
|