_FZPC_Cuba_Devesa_pic.jpg)
Specimen Type: holotype Sex: f Institution: FZPC Fernando de Zayas Private Collection, Havana, Cuba Photographer: Sergio Devesa Collection Location: Sierra del Cristal, Oriente, Cuba 64871
|
_FZPC_Cuba_Devesa_pic.jpg)
Specimen Type: holotype Sex: f Institution: FZPC Fernando de Zayas Private Collection, Havana, Cuba Photographer: Sergio Devesa Collection Location: Sierra del Cristal, Oriente, Cuba 64872
|
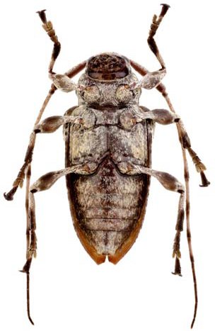
_FZPC_Cuba_Devesa_pic.jpg)
Specimen Type: holotype Sex: f Institution: FZPC Fernando de Zayas Private Collection, Havana, Cuba Photographer: Sergio Devesa Collection Location: Sierra del Cristal, Oriente, Cuba 64873
|
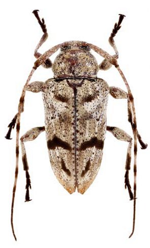
_Zayas_MNHC_Cuba_Nearns_Zootaxa.jpg)
Specimen Type: holotype Institution: FZPC Fernando de Zayas Private Collection, Havana, Cuba Photographer: Gino Nearns Collection Location: Cuba 22964
|
|